Permanente link
Naar de actuele versie van de regeling
https://lokaleregelgeving.overheid.nl/CVDR751183
Naar de door u bekeken versie
https://lokaleregelgeving.overheid.nl/CVDR751183/1
Verordening havengelden Altena 2026
Geldend van 20-12-2025 t/m heden
Intitulé
Verordening havengelden Altena 2026de raad van de gemeente Altena;
gelezen het voorstel van burgemeester en wethouders;
gelet op de artikelen 228 en 229, eerste lid, aanhef en onder a en b van de Gemeentewet;
b e s l u i t:
vast te stellen de:
Verordening havengelden Altena 2026
Hoofdstuk 1 Algemene bepalingen
Artikel 1.1 Begripsomschrijvingen
Deze verordening verstaat onder:
- a.
casco: een vaartuig waarvan nog niet officieel is vastgesteld wat de tonnenmaat van het vaartuig zal worden;
- b.
college: het college van burgemeester en wethouders;
- c.
dag: een aaneengesloten tijdvak van 24 uren;
- d.
duwbak: een binnenschip dat gebouwd en bestemd is om door een ander schip te worden opgeduwd en derhalve tijdens de vaart, anders dan bij het koppelen en losmaken, geen bemanning nodig heeft;
- e.
duwboot: een vaartuig dat hoofdzakelijk ingericht is of wordt gebruikt voor het duwen van andere vaartuigen;
- f.
gemeentelijk vaarwater: het in eigendom aan de gemeente toebehorende of bij haar in onderhoud of beheer zijnde openbaar vaarwater;
- g.
green Award: een keurmerk, afgegeven door de Stichting Green Award, voor schepen die extra geïnvesteerd hebben in de kwaliteit van het schip, de bemanning en de bedrijfsvoering;
- h.
gross ton (GT): een massa van 1.016 kilogram;
- i.
haven: wateren die in het beheer zijn van de gemeente en die voor de scheepvaart openstaan, alsmede alle daartoe behorende kaden, kunstwerken, aanmeergelegenheden, trappen, scheepshellingen, dokken, scheepsreparatiewerven en los- en laadplaatsen;
- j.
kade: de voor de openbare dienst bestemde plaats ingericht voor het aanleggen of aangelegd houden van vaartuigen en/of voor het opslaan van goederen ter lading en/ of gelost uit voer- of vaartuigen;
- k.
kalenderjaar: een aaneengesloten periode van twaalf maanden, die begint op 1 januari en eindigt op 31 december;
- l.
kwartaal: een aaneengesloten tijdvak van 90 dagen;
- m.
maand: een aaneengesloten tijdvak van 30 dagen;
- n.
meetbrief: het document als bedoeld in artikel 12c van de Binnenschepenwet;
- o.
laadvermogen: het in tonnen uitgedrukte laadvermogen, zoals blijkt uit de bij het vaartuig behorende meetbrief;
- p.
nieuwbouwschip: zie casco;
- q.
passagiersschip: een vaartuig dat hoofdzakelijk ingericht is of wordt gebruikt van beroepsmatig vervoer van personen;
- r.
pleziervaartuig: een vaartuig dat is bestemd of wordt gebruikt voor sportbeoefening of vrijetijdsbesteding, niet zijnde een passagiersschip;
- s.
schip: elk vaartuig met inbegrip van een watervliegtuig, een draagvleugelboot, een luchtkussenvoertuig, een boorinstallatie, een werkeiland of soortgelijk object, een baggermolen, een drijvende kraan, een elevator, een ponton, een drijvend werktuig, een drijvend voorwerp of een drijvende inrichting;
- t.
sleepboot: een vaartuig dat hoofdzakelijk ingericht is of wordt gebruikt voor het slepen van andere vaartuigen;
- u.
ton: een massa van 1.000 kilogram;
- v.
vaartuig: alle soorten van varende en drijvende voorwerpen welke gebezigd kunnen worden en/of zijn ingericht voor het vervoer te water van personen en/of goederen, waaronder mede vaartuigen dienende tot beoefening van de watersport of in gebruik ten behoeve van de sportvisserij, evenals vaartuigen dienende tot uitvoering van werkzaamheden onder in of boven water zoals baggermolens, zandbakken, vlotten en drijvende inrichtingen, elevators, dokken, sleepboten, duwboten en daarmede gelijk te stellen vaartuigen alsmede woonschepen;
- w.
vissersschip: een vaartuig dat hoofdzakelijk ingericht is of wordt gebruikt voor het vangen van vis;
- x.
vrachtschip: een vaartuig dat hoofdzakelijk is ingericht of wordt gebruikt voor het vervoer van goederen;
- y.
week: een aaneengesloten tijdvak van zeven dagen;
- z.
werkstation: een drijvende of vaste inrichting die ingericht is of gebruikt wordt om werkzaamheden uit te voeren aan een vaartuig;
- aa.
woonschip: elk vaartuig dat uitsluitend of in hoofdzaak wordt gebruikt als, of te oordelen naar zijn constructie of inrichting uitsluitend of in hoofdzaak bestemd is tot, dag- of nachtverblijf van een of meer personen;
- bb.
zeeschip: een vaartuig dat wordt gebruikt of is bestemd voor de zeevaart, als bedoeld in artikel 1, eerste lid van de Schepenwet.
Artikel 1.2 Belastbaar feit
Overeenkomstig hetgeen in de volgende artikelen is bepaald, worden rechten geheven onder de naam van:
- a.
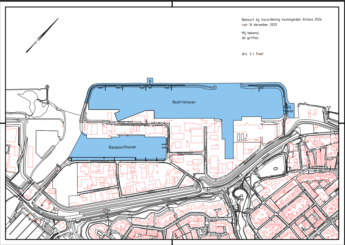
havengeld, voor het met vaartuigen gebruik maken van één van de voor openbare dienst bestemde gemeentewateren (Biesboschhaven, Beatrixhaven, RWS haven zoals vermeld in bijgaande kaart);
- b.
kadegeld, voor het tijdelijk gebruik maken van een voor de openbare dienst bestemde kade of wal in van één van de voor openbare dienst bestemde gemeentewateren (Biesboschhaven, Beatrixhaven, RWS haven zoals vermeld in bijgaande kaart) met materieel om goederen uit vaartuigen te lossen of in vaartuigen te laden;
- c.
opslaggeld, voor het gebruik van een voor de openbare dienst bestemde kade of wal van één van de voor openbare dienst bestemde gemeentewateren (Biesboschhaven, Beatrixhaven, RWS haven zoals vermeld in bijgaande kaart) in verband met de tijdelijke opslag van goederen, materialen of andere voorwerpen, waaronder onder meer begrepen mobiele kranen, laadtrechters, jakobsladders en transportbanden.
Artikel 1.3 Belastingplicht
-
1. De in artikel 1.2 genoemde rechten worden geheven als volgt:
- a.
havengeld van de kapitein, de gezagvoerder, de schipper, de reder, de eigenaar of de bevrachter van het vaartuig dat gebruik maakt van de gemeentelijke haven;
- b.
kadegeld van degene die van een voor de openbare dienst bestemde kade of wal van de gemeentelijke haven gebruik maakt ten behoeve van scheepsreparatie of om goederen te ontvangen of te verzenden;
- c.
opslaggeld van degene die op een voor de openbare dienst bestemde kade of wal goederen, materialen of andere voorwerpen tijdelijk opslaat.
- a.
-
2. De aanslag kan tenaamgesteld worden op naam van degene die daartoe een schriftelijk verzoek indient onder voorwaarde dat voldoende zekerheid wordt gegeven over de betaling van de aanslag.
Artikel 1.4 Meldplicht
-
1. Direct na binnenkomst van de haven dient de belastingplichtige, zoals in artikel 1.3 genoemd, zich via het VHF 12 kanaal, via de “Ship Assist” app of telefonisch te melden. Het telefoonnummer is vermeld op het bord dat is geplaatst op de havendam aan de ingang van de haven. Indien het telefoonnummer niet wordt beantwoord, kan de melding plaatsvinden via de voicemail.
-
2. De belastingplichtige is verplicht bij de melding de volgende gegevens te vermelden:
- a.
De naam van het betreffende schip;
- b.
Het Europa nummer van het betreffende schip;
- c.
De naam en het telefoonnummer van de schipper;
- d.
Het tijdstip van binnenvaren;
- e.
De vermoedelijke verblijfsduur in de haven.
- a.
-
3. Direct na binnenkomst in de haven dient de belastingplichtige bij de havenmeester het verzoek in tot het verkrijgen van een uitnodiging tot het doen van aangifte.
Hoofdstuk 2 Tariefstructuur
Artikel 2.1 Tarieftoepassing
Voor de toepassing van de tarieven wordt een gedeelte van een dag, een m1, een m² of een ton als een volle eenheid gerekend.
Artikel 2.2 Wijze van berekening
-
1. Het haven-, kade- en opslaggeld wordt geheven, zodra het gebruik van het gemeentelijk vaarwater, van kaden en loswallen of enig in artikel 1.2 genoemd gemeentewerk aanvangt. Indien het tijdstip van aanvang niet gemeld is, wordt als tijdstip van aanvang 0:00 uur op de eerste dag gebruikt.
-
2. De maatstaf voor de berekening van het havengeld is de oppervlakte van het vaartuig, gemeten in m2 per keer, waarbij de oppervlakte wordt bepaald door de lengte en de breedte van het schip, zoals vermeld in de meetbrief, met elkaar te vermenigvuldigen;
-
3.
- a.
De maatstaf voor de berekening van het havengeld van een casco is, zolang nog geen meetbrief aanwezig is, de oppervlakte van het casco gemeten in m2 per keer;
- b.
Wanneer een casco in gedeelten wordt afgebouwd, wordt de oppervlakte opnieuw vastgesteld na plaatsing van een nieuw gedeelte;
- a.
-
4. De maatstaf voor de berekening van kadegelden is de scheepslengte uitdrukt in aantal strekkende meters.
-
5. De maatstaf voor de berekening van de opslaggelden is het aantal strekkende meters kade in eenheden van 25, 50, 75 en 100 strekkende meter, met een minimum van 25 strekkende meter;
-
6. Ter bepaling van de door de opgeslagen goederen ingenomen grondoppervlakte wordt de ruimte tussen de goederen mede geacht door die goederen te zijn ingenomen.
-
7. Als het haven-, kade- en opslaggeld is betaald volgens het tarief per keer, en het gebruik van de haven of de kade voortduurt na afloop van de termijn waarvoor het haven-, kade- en opslaggeld is betaald, wordt opnieuw haven-, kade- en opslaggeld geheven volgens het tarief per keer.
-
8. Een aaneengesloten tijdvak van 2 dagen wordt gerekend als het gebruik van de haven aanvangt op vrijdag om 17:00 uur en eindigt op maandag om 9:00 uur.
Artikel 2.3 Tarieven
-
1. Het havengeld bedraagt:
- a.
voor beroepsvaartuigen (binnenvaart) die gebruik maken van een gemeentelijke haven: per vierkante meter ingenomen oppervlakte van het vaartuig per dag: € 0,0374 excl. BTW;
- b.
voor casco’s die 30 dagen of langer verblijven in de haven en waarop daadwerkelijk afbouwwerkzaamheden worden verricht in die periode; per vierkante meter ingenomen oppervlakte van het vaartuig per dag: € 0,0224 excl. BTW;
- c.
voor casco’s die minder dan 30 dagen verblijven in de haven: per vierkante meter ingenomen oppervlakte van het vaartuig per dag: € 0,0374 excl. BTW;
- d.
voor beroepsvaartuigen die in de gemeente goederen laden of lossen: per ton laadvermogen per dag: € 0,20 excl. BTW met dien verstande dat op dit tarief een korting van 50% wordt toegepast indien minder dan 50% van de lading wordt gelost.
- e.
voor zeeschepen die gebruik maken van een gemeentelijke haven: per vierkante meter ingenomen oppervlakte van het vaartuig per dag: € 0,120 excl. BTW;
- f.
voor passagiersschepen per vierkante meter ingenomen oppervlakte van het vaartuig per dag € 0,120 excl. BTW, alsmede per reservering een bedrag van € 10,- excl. BTW;
- g.
voor werkstations die gebruik maken van een gemeentelijke haven: per vierkante meter ingenomen oppervlakte van het vaartuig per dag: € 0,074 excl. BTW;
- h.
voor sleepboten en duwboten die gebruik maken van een gemeentelijke haven: per vierkante meter ingenomen oppervlakte van het vaartuig per dag: € 0,120 excl. BTW;
- i.
voor drijvend materiaal die gebruik maken van een gemeentelijke haven: per vierkante meter ingenomen oppervlakte van het vaartuig per dag: € 0,120 excl. BTW;
- j.
voor pleziervaartuigen die gebruik maken van een gemeentelijke haven: per strekkende meter per dag:
- I.
met een scheepslengte tot 6 meter: € 3,02 exclusief BTW;
- II.
met een scheepslengte van 6 meter tot 12 meter: € 6,04 exclusief BTW;
- III.
met een scheepslengte van 12 meter of langer: € 18,12 exclusief BTW.
- I.
- a.
-
2. Het kadegeld bedraagt:
- a.
ten behoeve van laad- en losactiviteiten per strekkende meter scheepslengte per dag: € 0,75 exclusief BTW; met een minimum lengte van 25 strekkende meter
- b.
ten behoeve van scheepsreparatie per strekkende meter scheepslengte per dag: € 0,50 exclusief BTW. Met een minimum lengte van 25 strekkende meter
- a.
-
3. Het opslaggeld bedraagt per strekkende meter kadeoppervlakte in eenheden van 25, 50, 75 en 100 strekkende meter, met een minimum van 25 strekkende meter, per dag: € 0,75 exclusief BTW.
-
4. Voor schepen in het bezit van een Green Award certificaat, wordt gerekend met een korting op de tarieven zoals genoemd onder lid 1. Deze korting wordt als volgt toegepast:
- a.
schepen in het bezit van een bronzen Green Award certificaat krijgen 15% korting;
- b.
schepen in het bezit van een zilveren Green Award certificaat krijgen 20% korting;
- c.
schepen in het bezit van een gouden Green Award certificaat krijgen 25% korting;
- d.
schepen in het bezit van een platina Green Award certificaat krijgen 30% korting.
- a.
-
5. Om in aanmerking te komen voor een korting als bedoelt in lid 4 moet gelijk bij binnenkomst in de haven bij de havenmeester worden aangegeven of het vaartuig over een Green Award certificaat beschikt en of dit brons, zilver, goud of platina is;
-
6. Wanneer de toepassing van de tarieven voor haven-, kade- en opslaggeld leidt tot een lager bedrag dan € 15,00 exclusief BTW wordt de aanslag vastgesteld op € 15,00 exclusief BTW.
-
7. Het tarief voor de afname van elektriciteit bedraagt per kilowattuur € 0,30 inclusief BTW.
-
8. Het tarief voor de afname van water bedraagt per 200 liter water € 0,50 inclusief BTW.
-
9. Wanneer de toepassing van de tarieven zoals genoemd in lid 7 en 8 leidt tot een lager bedrag dan € 5,00 exclusief BTW wordt de aanslag vastgesteld op € 5,00 exclusief BTW.
Artikel 2.4 Reservering
-
1. Een verzoek tot reservering van een ligplaats moet worden gericht aan de havenmeester, telefonisch, via de “Ship Assist” App dan wel per mail.
-
2. Annulering van een verzoek, zoals bedoeld in voorgaand lid, is mogelijk tot uiterlijk 48 uur voorafgaand aan de verwachte aankomsttijd, telefonisch, via de ship assist app danwel per mail.
-
3. Als een reservering zoals bedoeld in lid 1 of een annulering van een reservering zoals bedoeld in lid 2 niet wordt nagekomen wordt een tarief van € 100,- exclusief BTW in rekening gebracht.
-
4. Reserveren, als bedoeld in lid 1, is niet mogelijk van 1 december van enig jaar tot en met 7 januari van het daaropvolgende jaar.
Artikel 2.5 Vrijstellingen
-
1. Geen haven-, kade- en opslaggeld wordt geheven voor:
- a.
vaartuigen, in directe dienst van de gemeente;
- b.
rijksvaartuigen, bestemd voor de openbare dienst, welke uitsluitend ligplaats innemen in verband met het waterbeheer;
- c.
hospitaalschepen, of vaartuigen die als zodanig dienstdoen;
- d.
sleepboten, die vaartuigen in de haven brengen of daaruit komen halen, binnen een termijn van maximaal zes aaneengesloten uur;
- e.
vaartuigen, die minder dan drie uur gebruik maken van een ligplaats, mits deze tijd uitsluitend benut wordt om in de gemeente inkopen te doen, zaken af te handelen of gezinsleden en/of personeelsleden te in- of ontschepen;
- f.
vaartuigen, in directe dienst van het koninklijk huis;
- g.
de opslag van materialen die zijn aangevoerd ten behoeve van de gemeente;
- h.
het gebruik van de kades en havens in het kader van de ‘havendag’ en andere, nader door burgemeester en wethouders aan te wijzen, evenementen.
- a.
Hoofdstuk 3 Heffing
Artikel 3.1 Wijze van heffing
De rechten als bedoeld in artikel 2.3 worden geheven bij wege van aanslag.
Artikel 3.2 Termijnen van betaling
Het haven-, kade- en opslaggeld moet worden betaald binnen dertig dagen na de
dagtekening van het aanslagbiljet.
Artikel 3.3 Kwijtschelding
Bij de invordering van haven-, kade- en opslaggeld wordt geen kwijtschelding verleend.
Artikel 3.4 Nadere regels door het college van burgemeester en wethouders
Het college kan nadere regels geven met betrekking tot de heffing en invordering van havengelden.
Hoofdstuk 4 Overgangs- en slotbepalingen
Artikel 4.1 Intrekking oude regeling
De ‘Verordening havengelden Altena 2025’ van 17 december 2024 wordt ingetrokken met ingang van de in artikel 4.2, tweede lid genoemde datum van ingang van de heffing, met dien verstande dat zij van toepassing blijft op de belastbare feiten die zich voor die datum hebben voorgedaan.
Artikel 4.2 Inwerkingtreding
-
1. Deze verordening treedt in werking met ingang van de eerste dag na die van de bekendmaking.
-
2. de datum van ingang van de heffing is 1 januari 2026.
Artikel 4.3 Citeertitel
Deze verordening wordt aangehaald als: ‘Verordening havengelden Altena 2026’.
Ondertekening
Aldus vastgesteld in de openbare raadsvergadering van 16 december 2025
De griffier,
drs. S.J. Peet
De voorzitter,
drs. E.B.A. Lichtenberg MCM
Tarieventabel behorende bij de Verordening havengelden Altena 2026
|
Heffingsmaatstaf |
Per |
Tarief |
Tarief |
|
|
Havengeld |
2026 |
2025 |
||
|
Beroepsvaartuigen die gebruik maken van een gemeentelijke haven |
Oppervlakte van het vaartuig in m2. |
dag |
€ 0,0374 |
€ 0,0374 |
|
Casco’s die 30 dagen of langer verblijven in de haven en daadwerkelijk worden afgebouwd in die periode |
Oppervlakte van het casco in m2. |
dag |
€ 0,0224 |
€ 0,0224 |
|
Casco’s die minder dan 30 dagen verblijven in de haven |
Oppervlakte van het casco in m2. |
dag |
€ 0,0374 |
€ 0,0374 |
|
Beroepsvaartuigen die in de gemeente meer dan 50% van hun laadvermogen laden en/of lossen |
Laadvermogen |
ton/GT |
€ 0,20 |
€ 0,20 |
|
Beroepsvaartuigen die in de gemeente minder dan 50% van hun laadvermogen laden en/of lossen |
Laadvermogen |
ton/GT |
€ 0,10 |
n.v.t. |
|
Zeeschepen |
Oppervlakte van het vaartuig in m2. |
dag |
€ 0,120 |
€ 0,120 |
|
Passagiersschepen |
Oppervlakte van het vaartuig in m2. |
dag |
€ 0,120 |
€ 0,120 |
|
Passagiersschepen die passagiers in nemen of aan wal zetten |
Per keer |
reservering |
€ 10,00 |
€ 10,00 |
|
Werkstations |
m2 ingenomen wateroppervlakte |
dag |
€ 0,074 |
€ 0,074 |
|
Sleepboten |
m2 ingenomen wateroppervlakte |
dag |
€ 0,120 |
€0,120 |
|
Duwboten |
m2 ingenomen wateroppervlakte |
dag |
€ 0,120 |
€ 0,120 |
|
Overig drijvend materiaal |
m2 ingenomen wateroppervlakte |
dag |
€ 0,120 |
€ 0,120 |
|
Pleziervaartuigen met een lengte tot 6 meter |
Scheepslengte in m1 |
dag |
€ 3,02 |
€ 3,02 |
|
Pleziervaartuigen met een lengte van 6 meter tot 12 meter |
Scheepslengte in m1 |
dag |
€ 6,04 |
€ 6,04 |
|
Pleziervaartuigen met een lengte van 12 meter of meer |
Scheepslengte in m1 |
dag |
€ 18,12 |
€ 18,12 |
|
Kadegeld |
||||
|
Gebruik loswal voor scheepsreparatie. |
Scheepslengte in m1 met een minimum van 25 m1 |
dag |
€ 0,50 |
€ 0,50 |
|
Gebruik loswal voor laden en/of lossen |
Scheepslengte in m1 met een minimum van 25 m1 |
dag |
€ 0,75 |
€ 0,75 |
|
Opslaggeld |
||||
|
Gebruik loswal voor zoals bedoeld in artikel 1.3 lid c. |
M1 in eenheden van 25, 50, 75 en 100m1 met een minimum van 25m1 |
dag |
€ 0,75 |
€ 0,75 |
|
Elektriciteit |
||||
|
Levering elektriciteit |
Kilowattuur |
Kilowattuur |
€ 0,30* |
€ 0,30* |
|
Water |
||||
|
Levering water |
Liter |
200 liter |
€ 0,50* |
€ 0,50* |
*Tarieven voor elektriciteit en water zijn inclusief BTW. Overige tarieven zijn exclusief BTW.
Schepen in het bezit van een bronzen Green Award certificaat krijgen 15% korting op het havengeld;
het tarief is na korting 85/100 van het tarief voor het overeenkomstige vaartuig zonder Green Award’.
Schepen in het bezit van een zilveren Green Award certificaat krijgen 20% korting op het havengeld;
het tarief is na korting 80/100 van het tarief voor het overeenkomstige vaartuig zonder Green Award.
Schepen in het bezit van een gouden Green Award certificaat krijgen 25% korting op het havengeld;
het tarief is na korting 75/100 van het tarief voor het overeenkomstige vaartuig zonder Green Award.
Schepen in het bezit van een platina Green Award certificaat krijgen 30% korting op het havengeld;
het tarief is na korting 70/100 van het tarief voor het overeenkomstige vaartuig zonder Green Award.
Behoort bij Verordening havengelden Altena 2026
De griffier,
drs. S.J. Peet
Kaart behorende bij de Verordening havengelden 2026
Ziet u een fout in deze regeling?
Bent u van mening dat de inhoud niet juist is? Neem dan contact op met de organisatie die de regelgeving heeft gepubliceerd. Deze organisatie is namelijk zelf verantwoordelijk voor de inhoud van de regelgeving. De naam van de organisatie ziet u bovenaan de regelgeving. De contactgegevens van de organisatie kunt u hier opzoeken: organisaties.overheid.nl.
Werkt de website of een link niet goed? Stuur dan een e-mail naar regelgeving@overheid.nl