Bouwverordening Bloemendaal 2012

Geldend van 11-01-2024 t/m heden

Intitulé

Bouwverordening Bloemendaal 2012

De raad der gemeente Bloemendaal;gelezen het voorstel van burgemeester en wethouders van 7 februari 2012;

b e s l u i t:vast te stellen de volgendeBouwverordening Bloemendaal 2012

1.Inleidende bepalingen

Artikel 1.1 Begripsomschrijvingen

  • 1.

    In deze verordening wordt verstaan onder:

    • a.

      Bevoegd gezag: bestuursorgaan, als bedoeld in de Woningwet, artikel 1, eerste lid, onderdeel e, dan wel, bij het ontbreken van een bestuursorgaan als bedoeld in dit artikellid, burgemeester en wethouders;

    • b.

      Bouwbesluit: de algemene maatregel van bestuur als bedoeld in artikel 2 van de Woningwet;

    • c.

      Bouwtoezicht: degenen, die ingevolge artikel 92, tweede lid, van de Woningwet in samenhang met artikel 5.10 van de Wet algemene bepalingen omgevingsrecht belast zijn met het bouw- en woningtoezicht;

    • d.

      Bouwwerk: elke constructie van enige omvang van hout, steen, metaal of ander materiaal, die op de plaats van bestemming hetzij direct hetzij indirect met de grond verbonden is, hetzij direct of indirect steun vindt in of op de grond, bedoeld om ter plaatse te functioneren;

    • e.

      Gebruiksoppervlakte: de gebruiksoppervlakte als bedoeld in het Bouwbesluit;

    • f.

      Hoogte van de weg: de hoogte van de weg zoals die door of namens burgemeester en wethouders is vastgesteld;

    • g.

      NEN: een door de Stichting Nederlands Normalisatie-Instituut uitgegeven norm;

    • h.

      NVN: een door de Stichting Nederlands Normalisatie-Instituut uitgegeven voornorm;

    • i.

      Omgevingsvergunning voor het bouwen: vergunning voor een bouwactiviteit als bedoeld in artikel 2.1, eerste lid, onder a, van de Wet algemene bepalingen omgevingsrecht;

    • j.

      Straatpeil:

      • i.

        Voor een bouwwerk, waarvan de hoofdtoegang direct aan de weg grenst de hoogte van de weg ter plaatse van die hoofdtoegang;

      • ii.

        Voor een bouwwerk, waarvan de hoofdtoegang niet direct aan de weg grenst de hoogte van het terrein ter plaatse van die hoofdtoegang bij voltooiing van de bouw;

    • k.

      Weg: alle voor het openbaar rij- of ander verkeer openstaande wegen of paden daaronder begrepen de daarin gelegen bruggen en duikers, de tot de wegen of paden behorende bermen en zijkanten, alsmede de aan de wegen liggende en als zodanig aangeduide parkeerterreinen.

  • 2.

    In deze verordening wordt mede verstaan onder:

    • a.

      Bouwwerk: een gedeelte van een bouwwerk;

    • b.

      Gebouw: een gedeelte van een gebouw.

Artikel 1.2 Termijnen (vervallen)

Artikel 1.3 Indeling van het gebied van de gemeente

  • 1.

    Voor de toepassing van deze verordening geldt als indeling van de gemeente:

    • a.

      het gebied binnen de bebouwde kom;

    • b.

      het gebied buiten de bebouwde kom.

  • 2.

    Als gebied binnen de bebouwde kom geldt het gebied, dat op de bij deze verordening behorende kaart met registratienummer 2010005844 als zodanig is aangegeven.

  • 2.

    De aanvraag omgevingsvergunning voor het bouwen

Paragraaf 1 Gegevens en bescheiden

Artikel 2.1.1 Aanvraag bouwvergunning (vervallen)

Artikel 2.1.2 In de aanvraag op te nemen gegevens (vervallen)

Artikel 2.1.3 Aanvraag bouwvergunning (vervallen)

Artikel 2.1.4 Gegevens met betrekking tot het coördineren van vergunningaanvragen (vervallen)

Artikel 2.1.5 Bodemonderzoek

  • 1.

    Het onderzoek betreffende de bodemgesteldheid als bedoeld in artikel 8, vierde lid, van de Woningwet bestaat uit:

    • a.

      de resultaten van een recent milieuhygiënisch bodemonderzoek verricht volgens NEN 5740, uitgave 2009, in overeenstemming met het onderzoeksprotocol dat volgt uit figuur 1.

    • b.

      (vervallen)

    • c.

      Indien op basis van het vooronderzoek aanleiding bestaat te veronderstellen dat asbest, daaronder mede begrepen asbestvezels, -deeltjes of –stof, in de bodem aanwezig is, vindt het onderzoek mede plaats op de wijze als voorzien in NEN 5707, uitgave 2003.

  • 2.

    De plicht tot het indienen van een onderzoeksrapport als bedoeld in artikel 2.4, onder d van de Regeling omgevingsrecht geldt niet indien het bouwen betrekking heeft op een bouwwerk dat naar aard en omvang gelijk is aan een bouwwerk als genoemd in het Besluit omgevingsrecht, artikelen 2 en 3 van bijlage II. Deze verwijzing geldt niet voor de hoogtebepalingen in het Besluit omgevingsrecht, artikelen 2 en 3 van bijlage II.

  • 3.

    Het bevoegd gezag staat een geheel of gedeeltelijk afwijken van de plicht tot het indienen van een onderzoeksrapport bedoeld in artikel 2.4, onder d, van de Regeling omgevingsrecht toe, indien voor toepassing van artikel 2.4.1 bij het bevoegd gezag reeds bruikbare recente onderzoeksresultaten beschikbaar zijn.

  • 4.

    Het bevoegd gezag kan een gedeeltelijk afwijken van de plicht tot het indienen van een onderzoeksrapport als bedoeld in artikel 2.5, onder d van de Regeling omgevingsrecht toestaan voor een bouwwerk met een beperkte instandhoudingstermijn, als bedoeld in artikel 2.23 Wet algemene bepalingen omgevingsrecht en artikel 5.16 van het Besluit omgevingsrecht, indien uit het in NEN 5725, uitgave 2009, bedoelde vooronderzoek naar het historisch gebruik en naar de bodemgesteldheid blijkt, dat de locatie onverdacht is dan wel de gerezen verdenkingen een volledig veldonderzoek volgens NEN 5740, uitgave 2009 niet rechtvaardigen.

  • 5.

    Indien het bouwen pas kan plaatsvinden nadat de aanwezige bouwwerken zijn gesloopt, dient het bodemonderzoek plaats te vinden nadat is gesloopt en voordat met de bouw wordt begonnen.

Artikel 2.1.6 Overige gegevens en bescheiden behorende bij de aanvraag om bouwvergunning (vervallen)

Artikel 2.1.7 Bouwregistratie (vervallen)

Artikel 2.1.8 Bijzondere bepalingen omtrent de aanvraag om bouwvergunning woonwagens en standplaatsen (vervallen)

Paragraaf 2 Behandeling van de aanvraag om omgevingsvergunning

Artikel 2.2.1 Ontvangst van de aanvraag (vervallen)

Artikel 2.2.2 Samenloop met vrijstelling ruimtelijke ordening (vervallen)

Artikel 2.2.3 Bekendmaking van termijnen (vervallen)

Artikel 2.2.4 In behandeling nemen en fasering bouwvergunningverlening (vervallen)

Artikel 2.2.5 In behandeling nemen en bodemonderzoek (vervallen)

Artikel 2.2.6 Kennisgeving van rechtswege verleende bouwvergunning (vervallen)

Paragraaf 3 Welstandstoetsing

Artikel 2.3.1 Welstandscriteria (vervallen)

Paragraaf 4 Het tegengaan van bouwen op verontreinigde bodem

Artikel 2.4.1 Verbod tot bouwen op verontreinigde bodem

Op een bodem die zodanig is verontreinigd dat schade of gevaar is te verwachten voor de gezondheid van de gebruikers, mag niet worden gebouwd voorzover dat bouwen betrekking heeft op een bouwwerk:

  • a.

    waarin voortdurend of nagenoeg voortdurend mensen zullen verblijven;

  • b.

    voor het bouwen waarvan een omgevingsvergunning voor het bouwen is vereist; en

    • i.

      dat de grond raakt, of

    • ii.

      waarvan het bestaande, niet-wederrechtelijke gebruik niet wordt gehandhaafd.

Artikel 2.4.2 Voorwaarden omgevingsvergunning voor het bouwen

In afwijking van het bepaalde in artikel 2.4.1 en onverminderd het bepaalde in artikel 2.4, onder d, van de Regeling omgevingsrecht, kan het bevoegd gezag voorwaarden verbinden aan de omgevingsvergunning voor het bouwen, in het geval het op grond van het in de Regeling omgevingsrecht bedoelde onderzoeksrapport en/of andere bij hen bekende onderzoeksresultaten dan wel op grond van het overeenkomstig het tweede lid van artikel 39 van de Wet bodembescherming goedgekeurde saneringsplan bedoeld in artikel 39, eerste lid, van die Wet van oordeel is, dat de bodem niet geschikt is voor het beoogde doel maar door het stellen van voorwaarden alsnog geschikt kan worden gemaakt.

Paragraaf 5 Voorschriften van stedenbouwkundige aard en bereikbaarheidseisen

Artikel 2.5.1 Richtlijnen voor de verlening van ontheffing van de stedenbouwkundige bepalingen (vervallen)

Artikel 2.5.2 Anti-cumulatiebepaling

Terrein dat voor het verlenen van een omgevingsvergunning voor het bouwen in aanmerking moet worden genomen mag niet nog eens bij de verlening van een omgevingsvergunning voor het bouwen voor een ander bouwwerk in aanmerking worden genomen.

Artikel 2.5.3 Bereikbaarheid van bouwwerken voor wegverkeer.

Brandblusvoorzieningen (vervallen)

Artikel 2.5.3A Brandweeringang (vervallen)

Artikel 2.5.4 Bereikbaarheid van gebouwen voor gehandicapten (vervallen)

Artikel 2.5.5 Ligging van de voorgevelrooilijn

De voorgevelrooilijn is:

  • a.

    langs een wegzijde met een regelmatige of nagenoeg regelmatige ligging van de voorgevels van de bestaande bebouwing: de evenwijdig aan de as van de weg gelegen lijn, welke, zoveel mogelijk aansluitend aan de ligging van de voorgevels van de bestaande bebouwing, een zoveel mogelijk gelijkmatig beloop van de rooilijn overeenkomstig de richting van de weg geeft;

  • b.

    langs een wegzijde waarlangs geen bebouwing als onder a bedoeld aanwezig is en waarlangs mag worden gebouwd:

    • a.

      bij een wegbreedte van ten minste 10 meter, de lijn gelegen op 15 meter uit de as van de weg;

    • b.

      bij een wegbreedte geringer dan 10 meter, de lijn gelegen op 10 meter uit de as van de weg.

Artikel 2.5.6 Verbod tot bouwen met overschrijding van de voorgevelrooilijn

Onverminderd het bepaalde in artikel 2.5.7 is het verboden een bouwwerk, voor het bouwen waarvan een omgevingsvergunning is vereist, te bouwen met overschrijding van de voorgevelrooilijn.

Artikel 2.5.7 Toegelaten overschrijding van de voorgevelrooilijn

Het verbod tot bouwen met overschrijding van de voorgevelrooilijn is niet van toepassing op:

  • a.

    onderdelen van een bouwwerk, voor het bouwen waarvan een omgevingsvergunning is vereist die bij het afzonderlijk realiseren opgevat zouden moeten worden als het aanbrengen van veranderingen bedoeld in artikel 3, onderdeel 7, van bijlage II bij het Besluit omgevingsrecht;

  • b.

    andere onderdelen van een bouwwerk, voor het bouwen waarvan een omgevingsvergunning is vereist die bij het afzonderlijk realiseren niet vallen onder de werking van de veranderingen bedoeld in artikel 3, onderdeel 7, van bijlage II bij het Besluit omgevingsrecht, te weten:

    • 1.

      ondergrondse uitsteeksels, zoals funderingsonderdelen, rioolleidingen en rioolputten;

    • 2.

      stoepen, stoeptreden en toegangsbruggen, mits zij de grens van de weg met niet meer dan 0,3 m overschrijden.

Artikel 2.5.8 Vergunningverlening in afwijking van het verbod tot overschrijdingen van de voorgevelrooilijn

  • 1.

    In afwijking van het verbod tot het bouwen met overschrijding van de voorgevelrooilijn kan het bevoegd gezag de omgevingsvergunning voor het bouwen verlenen voor:

    • a.

      ondergrondse bouwwerken zoals kelders, kelderkoekoeken en kelderingangen, mits de bovenzijde daarvan niet hoger gelegen is dan het straatpeil;

    • b.

      bouwwerken, geen gebouw zijnde, anders dan bedoeld in artikel 2, onderdeel 9, 16 en 18 van bijlage II bij het Besluit omgevingsrecht, die naar hun aard en bestemming op een voor de voorgevelrooilijn gelegen erf toelaatbaar zijn;

    • c.

      laadperrons, stoepen en stoeptreden, die de grens van de weg overschrijden;

    • d.

      erkers, serres en andere uitbouwen, alsmede balkons en galerijen, die de voorgevelrooilijn met niet meer dan 1,50 m overschrijden;

    • e.

      trappenhuizen, buitentrappen en liftschachten, hijsinrichtingen en stortbuizen, alsmede andere luifels, dakoverstekken, uitspringende schoorsteenwanden, reclametoestellen en draagconstructies voor reclames dan bedoeld zijn in artikel 2.5.7;

    • f.

      overbouwingen ten dienste van de verbinding tussen twee bouwwerken;

    • g.

      bouwwerken aan of bij een monument - als bedoeld in de Monumentenwet 1988 dan wel in de provinciale of gemeentelijke monumentenverordening - voor zover zulks niet bezwaarlijk is met het oog op de in historisch-esthetisch opzicht gewenste aansluiting bij het karakter van de bestaande omgeving.

  • 2.

    Voor het bouwen boven een weg kan alleen afwijking worden toegestaan, indien niet lager gebouwd wordt dan:

    • a.

      4,20m boven de hoogte van de rijweg, met inbegrip van een strook van 0,50 m breedte ter weerszijden van die rijweg;

    • b.

      2,20m boven de hoogte van een ander deel van de weg; en dan nog voor zover de veiligheid van de gebruikers van de weg niet in gevaar komt.

Artikel 2.5.9 Bouwen op de weg

In afwijking van het verbod tot het bouwen op de weg kan het bevoegd gezag de omgevingsvergunning voor het bouwen verlenen voor:

  • a.

    gebouwen ten behoeve van een op het openbaar net aangesloten nutsvoorziening, het telecommunicatieverkeer, het openbaar vervoer of het wegverkeer, anders dan bedoeld in artikel 2, onderdeel 18, sub a van bijlage II bij het Besluit omgevingsrecht;

  • b.

    bouwwerken, geen gebouw zijnde, ten dienste van het verkeer, de waterhuishouding, de energievoorziening of het telecommunicatieverkeer, alsmede straatmeubilair, anders dan bedoeld in artikel 2, onderdeel 18 sub b, c en d, van bijlage II bij het Besluit omgevingsrecht;

  • c.

    vrijstaande winkel- of reclamevitrines;

  • d.

    reclametoestellen en draagconstructies voor reclame;

  • e.

    andere bouwwerken, voor het bouwen waarvan een omgevingsvergunning is vereist, die naar hun aard en bestemming op de weg toelaatbaar zijn.

Artikel 2.5.10 Plaatsing van de voorgevel ten opzichte van de voorgevelrooilijn. Afschuining van straathoeken

  • 1.

    Een naar de weg gekeerd gevelvlak van een gebouw moet in de voorgevelrooilijn zijn geplaatst.

  • 2.

    Het bepaalde in het eerste lid is niet van toepassing in:

    • a.

      de gevallen genoemd in artikel 2.5.7 en in die waarin de afwijking genoemd in de artikelen 2.5.8 en 2.5.9 is verleend;

    • b.

      de gevallen genoemd in artikel 2.5.13 en in die waarin de afwijking genoemd in artikel 2.5.14 is verleend, voor zover het bouwwerk geheel achter de achtergevelrooilijn is geplaatst;

    • c.

      de gevallen bedoeld in het derde lid.

  • 3.

    Indien van wegen die elkaar kruisen of van een weg die een knik maakt van 90 graden of minder, de tegenover elkaar liggende voorgevelrooilijnen zich in beide wegen of zich vóór en na de knik op onderlinge tussenafstanden van minder dan 3 meter bevinden, moet de bebouwing op de hoeken - over een hoogte op een dergelijke hoek van niet meer dan 4,2 meter boven straatpeil - worden afgerond of afgeschuind, met dien verstande dat de daardoor onbebouwd blijvende oppervlakte niet groter dan 2 m² behoeft te zijn.

  • 4.

    Het bevoegd gezag kan de omgevingsvergunning verlenen in afwijking van het bepaalde in het eerste lid voor:

    • a.

      gebouwen behorende tot een complex van gebouwen;

    • b.

      gebouwen op handels- en industrieterreinen;

    • c.

      vrijstaande, enkele of dubbele eengezinshuizen;

    • d.

      bijgebouwen, anders dan de in artikel 2, onderdeel 3, of artikel 3, onderdeel 1, van bijlage II bij het Besluit omgevingsrecht bedoelde gebouwen;

    • e.

      gebouwen ten dienste van bodemcultuur en veeteelt, pluimveeteelt daaronder begrepen, en de daarbij behorende woningen;

    • f.

      gedeelten van naar de weg gekeerde gevels;

    • g.

      gevallen, waarin de welstand bij het toestaan van de afwijking is gebaat.

Artikel 2.5.11 Ligging achtergevelrooilijn

  • 1.

    De achtergevelrooilijn is evenwijdig aan de voorgevelrooilijn en bevindt zich:

    • a.

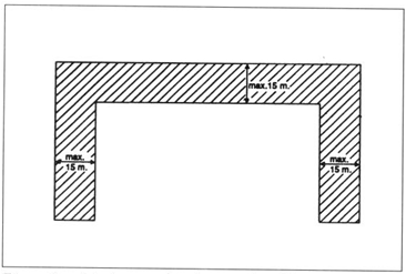
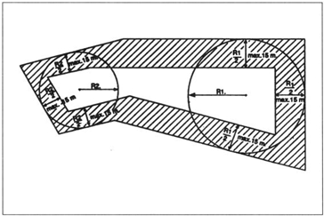
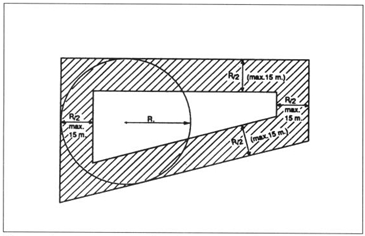
      in een aan alle zijden bebouwd of te bebouwen driehoekig, vierhoekig of regelmatig veelhoekig bouwblok op een afstand van de voorgevelrooilijn gelijk aan de helft van de straal van de ingeschreven cirkel binnen de voorgevelrooilijnen, doch op geen grotere afstand van de voorgevelrooilijn dan 15 meter. Indien meer dan één ingeschreven cirkel binnen de voorgevelrooilijnen kan worden beschreven, geldt de grootste;

    • b.

      in een aan alle zijden bebouwd of te bebouwen bouwblok van een andere dan onder a genoemde vorm op zodanige afstand van de voorgevelrooilijn, bepaald op de wijze als onder a bepaald, na herleiding van de vorm van het bouwblok tot een of meer der onder a genoemde vormen, voor zover zij op zich zelf of gezamenlijk de vorm van het bouwblok het meest nabijkomen, doch op geen grotere afstand van de voorgevelrooilijn dan 15 meter;

    • c.

      in een slechts aan drie zijden bebouwd of te bebouwen rechthoekig bouwblok, langs deze drie zijden op een afstand van de voorgevelrooilijn gelijk aan 1/4 van de afstand tussen de voorgevelrooilijnen van de beide zich tegenover elkaar bevindende bebouwde of te bebouwen zijden van het bouwblok, doch op geen grotere afstand van de voorgevelrooilijn dan 15 meter;

    • d.

      in een slechts aan twee tegenover elkaar gelegen zijden bebouwd of te bebouwen rechthoekig bouwblok, langs deze twee zijden op een afstand van de voorgevelrooilijn gelijk aan 1/4 van de afstand tussen de voorgevelrooilijnen van de beide zich tegenover elkaar bevindende bebouwde of te bebouwen zijden van het bouwblok, doch op geen grotere afstand van de voorgevelrooilijn dan 15 meter;

    • e.

      in alle niet onder a tot en met d genoemde gevallen op een afstand die wordt bepaald met inachtneming van de beginselen, welke zijn neergelegd in a tot en met d van dit lid, doch op geen grotere afstand van de voorgevelrooilijn dan 15 meter.

  • 2.

    Indien in een hoekbebouwing de elkaar snijdende achtergevelrooilijnen een scherpe hoek vormen moeten de achterzijden van die bebouwing – in het belang van de toetreding van daglicht – over een afstand van ten minste 5 meter ter weerszijden van bedoeld snijpunt ten minste 2 meter terugliggen ten opzichte van beide achtergevelrooilijnen.

  • 3.

    Het bevoegd gezag kan de omgevingsvergunning verlenen in afwijking van het bepaalde in het tweede lid, voor zover de aard, de indeling en het gebruik van de gebouwen in de hoekbebouwing dit toelaten.

Artikel 2.5.12 Verbod tot bouwen met overschrijding van de achtergevelrooilijn

Onverminderd het bepaalde in artikel 2.5.13 is het verboden bouwwerken, voor het bouwen waarvan een omgevingsvergunning is vereist, te bouwen met overschrijding van de achtergevelrooilijn.

Artikel 2.5.13 Toegelaten overschrijding van de achtergevelrooilijn

Het verbod tot bouwen met overschrijding van de achtergevelrooilijn is niet van toepassing op:

  • a.

    buiten de bebouwde kom gelegen kassen en bouwwerken, geen gebouwen zijnde, voor doeleinden van bodemcultuur en veeteelt, pluimveeteelt daaronder begrepen;

  • b.

    buiten de bebouwde kom gelegen gebouwen, geen kassen zijnde, voor doeleinden van bodemcultuur en veeteelt, pluimveeteelt daaronder begrepen, indien de afstand tot de zijdelingse grens van het erf ten minste 20 meter bedraagt;

  • c.

    onderdelen van een bouwwerk, voor het bouwen waarvan een omgevingsvergunning is vereist die bij het afzonderlijk realiseren opgevat zouden moeten worden als een aan- of uitbouw, voor het bouwen waarvan op grond van artikel 2, onderdeel 3, of artikel 3, onderdeel 1 van bijlage II bij het Besluit omgevingsrecht geen vergunning is vereist;

  • d.

    onderdelen van een bouwwerk, voor het bouwen waarvan een omgevingsvergunning is vereist die bij het afzonderlijk realiseren opgevat zouden moeten worden als het aanbrengen van veranderingen, als bedoeld in de artikel 3, onderdeel 7 van bijlage II bij het Besluit omgevingsrecht;

  • e.

    andere onderdelen van een bouwwerk, voor het bouwen waarvan een omgevingsvergunning is vereist die bij het afzonderlijk realiseren niet vallen onder de werking van artikel 3, onderdeel 7 van bijlage II bij het Besluit omgevingsrecht, te weten:

  • 1.

    ondergrondse uitsteeksels, zoals funderingsonderdelen, rioolleidingen en rioolputten;

  • 2.

    terrassen, bordessen en bordestreden;

  • f.

    antennes, anders dan bedoeld in artikel 2, onderdeel 15 en 17 van bijlage II bij het Besluit omgevingsrecht.

Artikel 2.5.14 Vergunningverlening in afwijking van het verbod tot overschrijdingen van de achtergevelrooilijn

In afwijking van het verbod tot het bouwen met overschrijding van de achtergevelrooilijn kan het bevoegd gezag de omgevingsvergunning voor het bouwen verlenen voor:

  • a.

    buiten de bebouwde kom gelegen gebouwen, geen kassen zijnde, voor doeleinden van bodemcultuur en veeteelt, pluimveeteelt daaronder begrepen, waarvan de afstand tot de zijdelingse grens van het erf minder dan 20 meter bedraagt;

  • b.

    binnen de bebouwde kom gelegen kassen;

  • c.

    vrijstaande, enkele of dubbele eengezinshuizen;

  • d.

    gebouwen op een terrein waarvan twee tegenover elkaar liggende zijden grenzen aan wegen, aan een weg en een openbaar water, aan een weg en een spoorweg of aan een weg en een plantsoen en welk terrein slechts aan één van die zijden mag worden bebouwd;

  • e.

    gebouwen op binnenterreinen, mits hiervan de bereikbaarheid, als bedoeld in de artikelen 6.37, 6.38 en 6.49 van het Bouwbesluit, is verzekerd;

  • f.

    bijgebouwen, die niet vallen onder artikel 2, onderdeel 3, of artikel 3, onderdeel 1, van bijlage II van het Besluit omgevingsrecht;

  • g.

    gebouwen in een bouwstrook of bouwblok, geheel of overwegend handels- of industrieterrein omvattend;

  • h.

    bouwwerken, geen gebouw zijnde, voor het bouwen waarvan een omgevingsvergunning is vereist;

  • i.

    ondergrondse bouwwerken, zoals kelders, kelderkoekoeken en kelderingangen, mits de bovenzijde daarvan niet hoger is gelegen dan de hoogte van het terrein ter plaatse bij voltooiing van de bouw;

  • j.

    erkers en overige uitbouwen, anders dan de uitbouwen die vallen onder artikel 2, onderdeel 3, of artikel 3, onderdeel 1, van bijlage II bij het Besluit omgevingsrecht;

  • k.

    trappenhuizen, buitentrappen en liftschachten, hijsinrichtingen en stortbuizen, balkons en veranda’s, alsmede andere luifels, afdaken, dakoverstekken, uitspringende schoorsteenwanden, terrassen en bordessen dan bedoeld zijn in artikel 2.5.13;

  • l.

    bouwwerken aan of bij een monument – als bedoeld in de Monumentenwet 1988 dan wel in de provinciale of gemeentelijke monumentenverordening – voor zover zulks niet bezwaarlijk is om de in historisch-esthetisch opzicht gewenste aansluiting te verkrijgen bij het karakter van de bestaande omgeving.

Artikel 2.5.15 Erf bij woningen en woongebouwen

  • 1.

    Bij een woning of woongebouw moet een erf aanwezig zijn dat ten minste een strook grond omvat die:

    • a.

      over de volle breedte van het gebouw aansluit aan de achtergevel, en

    • b.

      voor wat betreft het achter het gebouw gelegen deel dat is begrepen tussen het verlengde van de zijgevels, een diepte heeft van ten minste 5 meter.

  • 2.

    De maat genoemd in het eerste lid, moet worden gemeten haaks op de achtergevelrooilijn en vanuit het verst achterwaarts gelegen deel van het gebouw. Daarbij moeten de onderdelen van dat gebouw, bedoeld in artikel 2.5.13, en de balkons en veranda’s buiten beschouwing blijven.

  • 3.

    Het bevoegd gezag kan de omgevingsvergunning verlenen in afwijking van het bepaalde in:

    • a.

      het eerste lid, wat de aanwezigheid van het erf betreft, indien de gelijkstraats gelegen bouwlaag niet tot bewoning bestemd is;

    • b.

      het eerste lid, indien aan één van de volgende voorwaarden wordt voldaan:

      • i.

        een gunstige, andere indeling van het erf is aanwezig;

      • ii.

        het gebouw zal zijn gelegen op een terrein waarvan twee tegenover elkaar liggende zijden grenzen aan wegen, aan een weg en een openbaar water, aan een weg en een spoorweg of aan een weg en een plantsoen, mits dat terrein slechts aan één van die zijden mag worden bebouwd en tevens een erf van redelijke afmetingen tot stand wordt gebracht;

      • iii.

        bij het vergroten van een gebouw dat niet aan de bepalingen voor te bouwen woningen en woongebouwen van het Bouwbesluit voldoet, wordt de bestaande toestand verbeterd.

Artikel 2.5.16 Erf bij overige gebouwen

  • 1.

    Achter een gebouw, waarvan geen deel tot woning, anders dan als dienstwoning is bestemd, moet een bij het gebouw behorend erf aanwezig zijn ter diepte van ten minste 2 meter achter het verst achterwaarts gelegen deel van het gebouw en over de volle breedte daarvan.

  • 2.

    Het bevoegd gezag kan de omgevingsvergunning verlenen in afwijking van het bepaalde in het eerste lid:

    • a.

      indien ligging en bestemming van het gebouw hiervoor geen beletsel vormen;

    • b.

      indien, voor zover nodig, afwijking is toegestaan van het verbod tot overschrijding van de achtergevelrooilijn.

Artikel 2.5.17 Ruimte tussen bouwwerken

  • 1.

    De zijdelingse begrenzing van een bouwwerk moet ten opzichte van de zijdelingse grens van het erf zodanig zijn gelegen dat tussen dat bouwwerk en de op het aangrenzende erf aanwezige bebouwing geen tussenruimten ontstaan die:

    • a.

      vanaf de hoogte van het erf tot 2,2 meter daarboven minder dan 1 meter breed zijn;

    • b.

      niet toegankelijk zijn.

  • 2.

    Het bevoegd gezag kan de omgevingsvergunning verlenen in afwijking van het bepaalde in het eerste lid, indien voldoende mogelijkheid aanwezig is voor reiniging en onderhoud van de vrij te laten ruimte.

Artikel 2.5.18 Erf- en terreinafscheidingen

  • 1.

    Erf- en terreinafscheidingen, anders dan bedoeld in artikel 2, onderdeel 12 van bijlage II bij het Besluit omgevingsrecht, zijn niet toegelaten.

  • 2.

    Het bevoegd gezag kan de omgevingsvergunning verlenen in afwijking van het bepaalde in het eerste lid in het belang van het af te scheiden erf of terrein.

Artikel 2.5.19 Bouwen nabij bovengrondse hoogspanningslijnen en ondergrondse hoofd-transportleidingen

  • 1.

    Binnen een strook van 6 meter ter weerszijden van voor stroomgeleiding bestemde draden van bovengrondse hoogspanningslijnen mogen zich geen delen bevinden van andere bouwwerken, voor het bouwen waarvan een omgevingsvergunning is vereist dan die welke deel uitmaken van de hoogspanningslijn. Bij het bepalen van deze afstand moet rekening worden gehouden met het uitzwaaien van de draden ten gevolge van de wind. Onder hoogspanningslijn wordt in dit artikel verstaan een lijn met een nominale elektrische spanning van 1.000 volt of meer.

  • 2.

    Binnen een strook van 6 meter ter weerszijden van een ondergrondse hoofdtransportleiding mogen geen bouwwerken, voor het bouwen waarvan een omgevingsvergunning is vereist worden gebouwd.

  • 3.

    Het bevoegd gezag kan de omgevingsvergunning verlenen in afwijking van:

    • a.

      het bepaalde in het eerste lid voor wat betreft de afstand van 6 meter, indien de elektrische spanning van de hoogspanningslijn daarvoor geen bezwaar oplevert;

    • b.

      het bepaalde in het tweede lid voor wat betreft de afstand van 6 meter, indien daartegen met het oog op de veilige en ongestoorde ligging van de leiding geen bezwaar bestaat.

Artikel 2.5.20 Toegelaten hoogte in de voorgevelrooilijn

  • 1.Onverminderd het bepaalde in artikel 2.5.24 bedraagt de maximale hoogte van een bouwwerk, voor het bouwen waarvan een omgevingsvergunning is vereist in het vlak door de voorgevelrooilijn 1 meter, vermeerderd met:

  • a.

    in de bebouwde kom éénmaal de afstand tussen de voorgevelrooilijnen langs de desbetreffende weg;

  • b.

    buiten de bebouwde kom 0,75 maal de afstand tussen de voorgevelrooilijnen langs de desbetreffende weg.

    • 2.

      Het bepaalde in het eerste lid is niet van toepassing op hoekbebouwing aan wegen, waarvan de afstand tussen de voorgevelrooilijnen onderling verschilt, in welk geval aan de zijde van de smalle weg tot de hoogte welke aan de brede weg is toegelaten, mag worden gebouwd over een lengte van de hoek af gelijk aan de afstand tussen de voorgevelrooilijn van de smalle weg, doch over geen grotere lengte dan 15 meter.

    • 3.

      De in het eerste lid bedoelde afstand wordt gemeten haaks op de desbetreffende voorgevelrooilijn in het midden van de breedte van het bouwwerk of de projectie daarvan op de voorgevelrooilijn.

    • 4.

      Indien aan de overzijde van de weg een voorgevelrooilijn ontbreekt geldt ter bepaling van de grootste toegelaten hoogte, bedoeld in het eerste lid, de dichtst bij gelegen tegenoverliggende rooilijn. Indien de tegenoverliggende rooilijn plaatselijk is onderbroken geldt ter plaatse van die onderbreking de verst verwijderde van de beide ter weerszijden van de onderbreking voorkomende rooilijnen.

Artikel 2.5.21 Toegelaten hoogte in de achtergevelrooilijn

  • 1.Onverminderd het bepaalde in artikel 2.5.24 bedraagt de maximale hoogte van een bouwwerk, voor het bouwen waarvan een omgevingsvergunning is vereist in het vlak door de achtergevelrooilijn 1 meter, vermeerderd met:

  • a.

    in de bebouwde kom éénmaal de afstand tot de tegenoverliggende achtergevelrooilijn in hetzelfde bouwblok;

  • b.

    buiten de bebouwde kom 0,75 maal de afstand tot de tegenoverliggende achtergevelrooilijn in hetzelfde bouwblok.

    2.De in het eerste lid bedoelde afstand wordt gemeten haaks op de achtergevelrooilijn ter plaatse van het bouwwerk.

  • a.

    Indien de te beschouwen achtergevelrooilijnen niet evenwijdig lopen, wordt voor elke 5 meter breedte van de achterzijde van het bouwwerk uitgegaan van de gemiddelde afstand tussen de achtergevelrooilijnen.

  • b.

    Indien een tegenoverliggende achtergevelrooilijn ontbreekt, wordt gemeten tot de dichtstbijzijnde tegenover de achtergevelrooilijn gelegen voorgevelrooilijn.

    • 3.

      In afwijking van het bepaalde in het eerste lid mag de maximale hoogte van een bouwwerk in het vlak door de achtergevelrooilijn niet meer bedragen dan de maximale hoogte in de aangrenzende 5 meter van een aanliggende achtergevelrooilijn in hetzelfde bouwblok.

    • 4.

      Indien het terrein achter de achtergevelrooilijn lager dan straatpeil ligt, moet de in het eerste lid bedoelde hoogte worden verminderd met een maat, gelijk aan het verschil tussen het straatpeil en het peil van het onderhavige terrein ter plaatse van de achtertoegang bij voltooiing van de bouw.

Artikel 2.5.22 Toegelaten hoogte van zijgevels tegenover een achtergevelrooilijn

  • 1.

    Indien op een kruising van wegen de achtergevels van de bebouwing, gelegen aan de ene weg, doorgebouwd zijn tot aan de voorgevelrooilijn van de andere weg en bovendien in die achtergevels ramen aanwezig zijn, dan bedraagt – onverminderd het bepaalde in artikel 2.5.24 – de maximale hoogte van de zijgevel van het eerste bouwwerk aan laatstgenoemde weg nabij de hoek ten hoogste 1,5 maal de afstand van deze zijgevel tot de achtergevelrooilijn die bij de eerstgenoemde weg behoort. Deze afstand moet op dezelfde wijze worden bepaald als beschreven is in artikel 2.5.21, tweede lid, voor de bepaling van de afstand tussen twee achtergevelrooilijnen.

  • 2.

    Het bevoegd gezag kan de omgevingsvergunning verlenen in afwijking van het bepaalde in het eerste lid, mits de zijgevel niet hoger is dan de voorgevel.

Artikel 2.5.23 Toegelaten hoogte tussen voor- en achtergevelrooilijnen

  • 1.

    Onverminderd het bepaalde in artikel 2.5.24 mag een bouwwerk, voor het bouwen waarvan een omgevingsvergunning is vereist tussen de voor- en de achtergevelrooilijn niet hoger reiken dan tot de vlakken die de verticale vlakken door de voorgevelrooilijn en door de achtergevelrooilijn snijden op de – krachtens de artikelen 2.5.20 en 2.5.21 – maximale bouwhoogte en die met het horizontale vlak een hoek vormen van:

    • a.

      45 graden in de bebouwde kom;

    • b.

      37 graden buiten de bebouwde kom.

  • 2.

    Indien een bouwwerk nabij een kruising van wegen een zijgevel heeft die gelegen is tegenover een achtergevelrooilijn in hetzelfde bouwblok, mag dit bouwwerk bovendien niet hoger reiken dan tot het vlak dat het verticale vlak door die zijgevel snijdt ter hoogte van de – krachtens artikel 2.5.22 – maximale bouwhoogte en dat met het horizontale vlak een hoek vormt van 56 graden.

Artikel 2.5.24 Grootste toegelaten hoogte van bouwwerken

  • 1.

    De hoogte van een bouwwerk, voor het bouwen waarvan een omgevingsvergunning is vereist mag niet meer bedragen dan 15 meter.

  • 2.

    Indien het bouwwerk aan meer dan een weg grenst en deze wegen op verschillende hoogten liggen, geldt de hoogte ten opzichte van de laagst gelegen weg.

Artikel 2.5.25 Hoogte van bouwwerken op niet aan een weg grenzende terreinen

  • 1.

    De hoogte van een bouwwerk dat met een ingevolge artikel 2.5.14 toegestane afwijking wordt opgericht op een niet aan een weg grenzend terrein, mag niet meer bedragen dan 2,70 meter met dien verstande dat – uitgaande van een goothoogte van genoemde maat – daarboven een zadeldak met hellingen van ten hoogste 45 graden toegelaten is.

  • 2.

    Het bevoegd gezag kan de omgevingsvergunning verlenen in afwijking van het bepaalde in het eerste lid, indien de aard en de ligging van de omringende bebouwing hiervoor geen beletsel vormen.

Artikel 2.5.26 Wijze van meten van de hoogte van bouwwerken

  • 1.

    De hoogte van een bouwwerk of van een gevel of van een ander buitenvlak van een bouwwerk moet worden gemeten ten opzichte van straatpeil.

  • 2.

    De hoogte van gevels die geen horizontale beëindiging hebben, moet worden bepaald door de oppervlakte te delen door de breedte. Plaatselijke verhogingen, als bedoeld in artikel 2.5.27, onder d, en artikel 2.5.28, onder h, i, j en k, moeten – voor zover zij de maximale hoogte overschrijden – buiten beschouwing worden gelaten.

Artikel 2.5.27 Toegelaten afwijkingen van de toegelaten bouwhoogte

Het bepaalde in artikel 2.5.20, eerste lid, artikel 2.5.21, eerste en derde lid, artikel 2.5.22, eerste lid, artikel 2.5.23 en artikel 2.5.24 is niet van toepassing op:

  • a.

    onderdelen van een bouwwerk, voor het bouwen waarvan een omgevingsvergunning is vereist die bij het afzonderlijk realiseren opgevat zouden moeten worden als het aanbrengen van veranderingen, als bedoeld in artikel 3, onderdeel 7 van bijlage II bij het Besluit omgevingsrecht;

  • b.

    het gedeeltelijk vernieuwen of veranderen van bouwwerken, anders dan het aanbrengen van veranderingen van niet-ingrijpende aard, als bedoeld in artikel 3, onderdeel 7 van bijlage II bij het Besluit omgevingsrecht;

  • c.

    topgevels in het verticale vlak, gaande door de voorgevelrooilijn of de achtergevelrooilijn, mits zij niet breder zijn dan 6 meter en mits de geveloppervlakte, over de breedte van de topgevel gemeten, niet groter is dan het product van de breedte van de topgevel en de maximale bouwhoogte ter plaatse;

  • d.

    plaatselijke verhogingen met geen grotere breedte dan 0,60 meter.

Artikel 2.5.28 Vergunningverlening in afwijking van het verbod tot overschrijdingen van de toegelaten bouwhoogte

In afwijking van het verbod tot het bouwen met overschrijding van de toegelaten bouwhoogte als bedoeld in de artikelen 2.5.20, eerste lid, artikel 2.5.21, eerste en derde lid, artikel 2.5.22, eerste lid, artikel 2.5.23 en artikel 2.5.24 kan het bevoegd gezag de omgevingsvergunning voor het bouwen verlenen voor:

  • a.

    gebouwen voor openbaar nut, scholen, kerken, schouwburgen en andere gebouwen bestemd voor het houden van bijeenkomsten en vergaderingen;

  • b.

    gebouwen bestemd voor woon-, kantoor- of winkeldoeleinden, indien de welstand bij het toestaan van de afwijking is gebaat;

  • c.

    gebouwen bestemd voor het uitoefenen van een bedrijf op een handels- en industrieterrein;

  • d.

    agrarische bedrijfsgebouwen;

  • e.

    het geheel of gedeeltelijk veranderen of vergroten van een bouwwerk, anders dan bedoeld in artikel 3, onderdeel 7 van bijlage II bij het Besluit omgevingsrecht, en indien:

    • i.

      de bestaande belendende gebouwen de maximale bouwhoogte overschrijden en de welstand bij het toestaan van de afwijking is gebaat;

    • ii.

      bij het overschrijden van bestaande uitwendige hoogteafmetingen andere hoogteafmetingen kleiner worden dan de bestaande;

  • f.

    bouwwerken, geen gebouwen zijnde, ten dienste van het verkeer, de waterhuishouding, de energievoorziening of het telecommunicatieverkeer, anders dan bedoeld in artikel 2, onderdeel 16 en 18 van bijlage II bij het Besluit omgevingsrecht;

  • g.

    topgevels, breder dan 6 meter en gevelverhogingen van soortgelijke aard;

  • h.

    plaatselijke verhogingen met een grotere breedte dan 0,60 meter;

  • i.

    dakvensters, mits buitenwerks gemeten de breedte niet meer dan 1,75 meter, de hoogte niet meer dan 1,5 meter, de onderlinge afstand niet minder dan 3 meter en de afstand tot de erfscheiding niet minder dan 1,5 meter bedraagt. Deze laatste voorwaarde geldt niet voor gekoppelde dakvensters, die tot verschillende gebouwen behoren;

  • j.

    draagconstructies voor een reclame;

  • k.

    vrijstaande schoorstenen;

  • l.

    bouwwerken op een monument – als bedoeld in de Monumentenwet 1988 dan wel in de provinciale of gemeentelijke monumentenverordening – voor zover zulks niet bezwaarlijk is om de in historisch-esthetisch opzicht gewenste aansluiting te verkrijgen bij het karakter van de bestaande omgeving.

Artikel 2.5.29 Vergunningverlening in afwijking van het verbod tot overschrijding van de rooilijnen en van de toegelaten bouwhoogte in geval van voorbereiding van nieuw ruimtelijk beleid

In andere gevallen dan bedoeld in de artikelen 2.5.8, 2.5.14 en 2.5.28, kan het bevoegd gezag afwijken van de verboden tot bouwen met overschrijding van de voor- en van de achtergevelrooilijn, en van het verbod tot bouwen met overschrijding van de maximale bouwhoogte, indien:

  • a.

    er voor het betreffende gebied geen bestemmingsplan of beheersverordening of projectbesluit van kracht is;

  • b.

    geen van de aanhoudingsgronden zoals genoemd in artikel 3.3 van de Wet algemene bepalingen omgevingsrecht van toepassing is;

  • c.

    de activiteit in overeenstemming is met in voorbereiding zijnd toekomstig ruimtelijk beleid;

  • d.

    de activiteit niet in strijd is met een goede ruimtelijke ordening, en

  • e.

    de motivering van het besluit een goede ruimtelijke onderbouwing bevat.

Artikel 2.5.30 Parkeergelegenheid en laad- en losmogelijkheden bij of in gebouwen

  • 1.

    Indien de omvang of de bestemming van een gebouw daartoe aanleiding geeft, moet ten behoeve van het parkeren of stallen van auto’s in voldoende mate ruimte zijn aangebracht in, op of onder het gebouw, dan wel op of onder het onbebouwde terrein dat bij dat gebouw behoort. Deze ruimte mag niet overbemeten zijn, gelet op het gebruik of de bewoning van het gebouw, waarbij rekening moet worden gehouden met de eventuele bereikbaarheid per openbaar vervoer.

  • 2.

    De in het eerste lid bedoelde ruimte voor het parkeren van auto’s moet afmetingen hebben die zijn afgestemd op gangbare personenauto’s. Aan deze eis wordt geacht te zijn voldaan:

    • a.

      indien de afmetingen van bedoelde parkeerruimten ten minste 1,80 m bij 5,00 m en ten hoogste 3,25 m bij 6,00 m bedragen;

    • b.

      indien de afmetingen van een gereserveerde parkeerruimte voor een gehandicapte – voorzover die ruimte niet in de lengterichting aan een trottoir grenst – ten minste 3,50 m bij 5,00 m bedragen.

  • 3.

    Indien de bestemming van een gebouw aanleiding geeft tot een te verwachten behoefte aan ruimte voor het laden of lossen van goederen, moet in deze behoefte in voldoende mate zijn voorzien aan, in of onder dat gebouw, dan wel op of onder het onbebouwde terrein dat bij dat gebouw behoort.

  • 4.

    Het bevoegd gezag kan de omgevingsvergunning verlenen in afwijking van het bepaalde in het eerste en het derde lid:

    • a.

      indien het voldoen aan die bepalingen door bijzondere omstandigheden op overwegende bezwaren stuit; of

    • b.

      voor zover op andere wijze in de nodige parkeer- of stallingruimte, dan wel laad- of losruimte wordt voorzien.

Paragraaf 6 Voorschriften inzake brandveiligheid en vluchtrouteaanduiding

Artikel 2.6.1 Beginsel inzake brandmeldinstallaties (vervallen)

Artikel 2.6.2 Aanwezigheid van brandmeldinstallaties (vervallen)

Artikel 2.6.3 Omvang van de bewaking door brandmeldinstallaties (vervallen)

Artikel 2.6.4 Kwaliteit van brandmeldinstallaties (vervallen)

Artikel 2.6.5 Beginsel inzake ontruimings-alarminstallaties (vervallen)

Artikel 2.6.6 Aanwezigheid van ontruimings-alarminstallaties (vervallen)

Artikel 2.6.7 Kwaliteit van ontruimings-alarminstallaties (vervallen)

Artikel 2.6.8 Beginsel inzake vluchtrouteaanduidingen (vervallen)

Artikel 2.6.9 Aanwezigheid van vluchtrouteaanduidingen (vervallen)

Artikel 2.6.10 Kwaliteit van vluchtrouteaanduidingen (vervallen)

Artikel 2.6.11 Gelijkwaardigheid (vervallen)

Artikel 2.6.12 Communicatiesysteem voor publieke hulpverleningsdiensten (vervallen)

Paragraaf 7 Aansluitingplicht op de nutsvoorzieningen

Artikel 2.7.1 Eis tot aansluiting aan de waterleiding (vervallen)

Artikel 2.7.2 Eis tot aansluiting aan het elektriciteitsnet (vervallen)

Artikel 2.7.3 Eis tot aansluiting aan het aardgasnet (vervallen)

Artikel 2.7.3A Eis tot aansluiting aan de publieke voorziening voor verwarming (vervallen)

Artikel 2.7.4 Eis tot aansluiting aan de openbare riolering (vervallen)

Artikel 2.7.5 Aansluiting anders dan aan de openbare riolering (vervallen)

Artikel 2.7.6 Kwaliteit en dimensionering van de buitenriolering op erven en terreinen (vervallen)

Artikel 2.7.7 Wijze van meten van de afstand tot de leidingen van het openbare net van de nutsvoorzieningen (vervallen)

3.De melding

Artikel 3.1 De wijze van melden (vervallen)

Artikel 3.2 Welstandscriteria (vervallen)

4.Plichten tijdens en bij voltooiing van de bouw en bij ingebruikneming van een bouwwerk

Artikel 4.1 Intrekking bouwvergunning bij niet-tijdige start of tussentijdse staking van bouwwerkzaamheden (vervallen)

Artikel 4.2 Op het bouwterrein verplicht aanwezige bescheiden (vervallen)

Artikel 4.3 Wijzigingen in gegevens bouwregistratie (vervallen)

Artikel 4.4 Het uitzetten van de bouw (vervallen)

Artikel 4.5 Kennisgeving aan het bouwtoezicht van start van (onderdelen van) de bouwwerk-zaamheden (vervallen)

Artikel 4.6 Opmetingen, ontgravingen, opbrekingen en onderzoekingen (vervallen)

Artikel 4.7 Bemalen van bouwputten (vervallen)

Artikel 4.8 Veiligheid op het bouwterrein (vervallen)

Artikel 4.9 Afscheiding van het bouwterrein (vervallen)

Artikel 4.10 Veiligheid van hulpmiddelen en het voorkomen van hinder (vervallen)

Artikel 4.11 Bouwafval (vervallen)

Artikel 4.12 Gereedmelding van (onderdelen van) de bouwwerkzaamheden (vervallen)

Artikel 4.13 Melden van werken bij lage temperaturen (vervallen)

Artikel 4.14 Verbod tot ingebruikneming (vervallen)

5.Staat van open erven en terreinen, aansluiting op de nutsvoorzieningen en weren van schadelijke en hinderlijk gedierte

Paragraaf 1 Staat van open erven en terreinen

Artikel 5.1.1 Staat van onderhoud van open erven en terreinen (vervallen)

Artikel 5.1.2 Bereikbaarheid van gebouwen voor wegverkeer. Brandblusvoorzieningen (vervallen)

Artikel 5.1.3 Bereikbaarheid van gebouwen voor gehandicapten (vervallen)

Paragraaf 2 Staat van brandveiligheidinstallaties en vluchtrouteaanduidingen

Artikel 5.2.1 Voorschriften inzake brandveiligheidsinstallaties en vluchtrouteaanduidingen (vervallen)

Artikel 5.2.2 Aanwezigheid van brandveiligheidsinstallaties in gebouwen, niet zijnde woningen, woongebouwen, logiesverblijven, logiesgebouwen of kantoorgebouwen (vervallen)

Artikel 5.2.3 Aanwezigheid van brandveiligheid-installaties in woongebouwen van bijzondere aard (vervallen)

Artikel 5.2.4 Aanwezigheid van brandveiligheid-installaties in logiesverblijven en logiesgebouwen (vervallen)

Artikel 5.2.5 Aanwezigheid van brandveiligheid-installaties in kantoorgebouwen (vervallen)

Paragraaf 3 Aansluiting op de nutsvoorzieningen

Artikel 5.3.1 Eis tot aansluiting aan de waterleiding (vervallen)

Artikel 5.3.2 Eis tot aansluiting aan het elektriciteitsnet (vervallen)

Artikel 5.3.3 Eis tot aansluiting aan het aardgasnet (vervallen)

Artikel 5.3.4 Eis tot aansluiting aan de openbare riolering (vervallen)

Artikel 5.3.5 Aansluiting anders dan aan de openbare riolering (vervallen)

Artikel 5.3.6 Kwaliteit en dimensionering van de buitenriolering op erven en terreinen (vervallen)

Artikel 5.3.7 Wijze van meten van de afstand tot de leidingen van het openbare net van de nutsvoorzieningen (vervallen)

Paragraaf 4 Het weren van schadelijk of hinderlijk gedierte

Reinheid

Artikel 5.4.1 Preventie (vervallen)

  • 6.

    Brandveilig gebruik (vervallen)

  • 7.

    Overige gebruiksbepalingen

Paragraaf 1 Overbevolking

Artikel 7.1.1 Overbevolking van woningen (vervallen)

Artikel 7.1.2 Overbevolking van woonwagens (vervallen)

Paragraaf 2 Staken van het gebruik

Artikel 7.2.1 Verbod tot gebruik bij bouwvalligheid (vervallen)

Artikel 7.2.2 Staken van gebruik wegens gebrek aan veiligheid en gebrek aan hygiëne (vervallen)

Artikel 7.2.3 Staken van het gebruik van een woonwagen (vervallen)

Paragraaf 3 Gebruik van bouwwerken, open erven en terreinen

Artikel 7.3.1 (vervallen)

Artikel 7.3.2 Hinder (vervallen)

Paragraaf 4 Het weren van schadelijk of hinderlijk gedierte. Reinheid

Artikel 7.4.1 Preventie (vervallen)

Paragraaf 5 Watergebruik

Artikel 7.5.1 Verboden gebruik van water (vervallen)

Paragraaf 6 Installaties

Artikel 7.6.1 Gebruiksgereed houden van installaties (vervallen)

8.Slopen

Paragraaf 1 Omgevingsvergunning voor het slopen

Artikel 8.1.1 Omgevingsvergunning voor het slopen (vervallen)

Artikel 8.1.2 Aanvraag sloopvergunning (vervallen)

Artikel 8.1.3 In behandeling nemen (vervallen)

Artikel 8.1.4 Termijn van beslissing (vervallen)

Artikel 8.1.5 Samenloop van slopen en bouwen (vervallen)

Artikel 8.1.6 Weigeren omgevingsvergunning voor het slopen (vervallen)

Artikel 8.1.7 Intrekking omgevingsvergunning voor het slopen (vervallen)

Paragraaf 2 Uitzonderingen op het vereiste van sloopvergunning

Artikel 8.2.1 Sloopmelding (vervallen)

Artikel 8.2.2 Overige uitzonderingen op het vereiste van een omgevingsvergunning voor het slopen (vervallen)

Paragraaf 3 Verplichtingen tijdens het slopen

Artikel 8.3.1 Veiligheid op sloopterrein (vervallen)

Artikel 8.3.2 Op het sloopterrein verplicht aanwezige bescheiden (vervallen)

Artikel 8.3.3 Plichten van de houder van de omgevingsvergunning voor het slopen (vervallen)

Artikel 8.3.4 Plichten van degene die sloopt (vervallen)

Artikel 8.3.5 Wijze van slopen, verpakken en opslaan van asbest (vervallen)

Artikel 8.3.6 Plichten ten aanzien van de sloop van tuinbouwkassen (vervallen)

Paragraaf 4 Vrij slopen

Artikel 8.4.1 Sloopafval algemeen (vervallen)

9.Welstand en Monumenten

Artikel 9.1 De advisering door de adviescommissie voor Ruimtelijke Kwaliteit voor de gemeente Bloemendaal van de Stichting Welstandszorg Noord-Holland

[vervallen]

Artikel 9.2 Samenstelling van de adviescommissie voor Ruimtelijke Kwaliteit voor de gemeente Bloemendaal van de Stichting Welstandszorg Noord-Holland

[vervallen]

Overige administratieve bepalingen

Artikel 10.1 De aanvraag om woonvergunning (vervallen)

Artikel 10.2 De aanvraag om vergunning tot hergebruik van een ontruimde onbewoonbaar verklaarde woning of woonwagen (vervallen)

Artikel 10.3 Overdragen vergunningen (vervallen)

Artikel 10.4 Overdragen mededeling (vervallen)

Artikel 10.5 Het kenteken voor onbewoonbaar verklaarde woningen en woonwagens alsmede onbruikbaar verklaarde standplaatsen (vervallen)

Artikel 10.6 Herziening en vervanging van aangewezen normen en andere voorschriften

Het bevoegd gezag is bevoegd om rekening te houden met de herziening en vervanging van de NEN-normen, voornormen, praktijkrichtlijnen en andere voorschriften waarnaar in deze verordening – of in de bij deze verordening behorende bijlagen – wordt verwezen, indien de bevoegde instantie de betrokken norm, voornorm, praktijkrichtlijn of het voorschrift heeft herzien of vervangen en die herziening of vervanging heeft gepubliceerd.

11.Handhaving

Artikel 11.1 Stilleggen van de bouw (vervallen)

Artikel 11.2 Overtreding van het verbod tot ingebruikneming (vervallen)

Artikel 11.3 Stilleggen van het slopen (vervallen)

Artikel 11.4 Onderzoek naar een gebrek (vervallen)

12.Straf-, overgangs- en slotbepalingen

Artikel 12.1 Strafbare feiten (vervallen)

Artikel 12.2 Overgangsbepaling bodemonderzoek (vervallen)

Artikel 12.3 Overgangsbepaling met betrekking tot de staat van open erven en terreinen (vervallen)

Artikel 12.4 Overgangsbepaling (aanvragen om) gebruiksvergunning (vervallen)

Artikel 12.5 Overgangsbepaling sloopvergunning (vervallen)

Artikel 12.6 Overgangsbepaling

Op een aanvraag om bouwvergunning, ontheffing of toestemming of een aanvraag om omgevingsvergunning, die is ingediend vóór 1 april 2012 en waarop op dit tijdstip nog niet is beschikt, zijn de bepalingen van de bouwverordening van toepassing, zoals die luidden vóór deze wijziging, tenzij de aanvrager aangeeft dat de gewijzigde bepalingen worden toegepast.

Artikel 12.7 Slotbepaling

  • 1.

    De bijlagen maken onverminderd deel uit van deze verordening.

  • 2.

    Deze verordening treedt met terugwerkende kracht in werking op 1 april 2012.

  • 3.

    Bij de inwerkingtreding van deze verordening vervalt de Bouwverordening Bloemendaal 2011, vastgesteld bij raadsbesluit van 26 mei 2011.

  • 4.

    Deze verordening kan worden aangehaald als 'Bouwverordening Bloemendaal 2012'.

Aldus besloten in de openbare vergadering

van de raad der gemeente Bloemendaal,

gehouden op 29 maart 2012.

, voorzitter

, griffier

Gepubliceerd in het Weekblad Kennemerland-Zuid d.d. 19 april 2012

In werking met terugwerkende kracht op 1 april 2012 Bijlage 1 Gegevens en bescheiden aanvraag bouwvergunning

Bijlage als bedoeld in de artikelen 2.1.1 en 3.1

Artikel 1 De bij de aanvraag om bouwvergunning behorende bescheiden als bedoeld in artikel 2.1.3 van de bouwverordening (vervallen)

Artikel 2 De bij de aanvraag om bouwvergunning behorende gegevens en bescheiden als bedoeld in artikel 2.1.6 van de bouwverordening (vervallen)

Artikel 3 Funderingsplan (vervallen)

Artikel 4 Constructieve en aanverwante gegevens (vervallen)

Artikel 5 Bouwveiligheidsplan (vervallen)

Artikel 6 Eisen ten aanzien van tekeningen (vervallen)

Artikel 7 Eisen ten aanzien van berekeningen (vervallen)

Bijlage 2 Gegevens en bescheiden aanvraag gebruiksvergunning (vervallen)

Bijlage 3 Gebruikseisen voor bouwwerken (vervallen)

Bijlage 4 Gebruikseisen voor bouwwerken met uitzondering van de niet-gemeenschappelijke ruimten in woonfuncties (vervallen)

Bijlage 5 Opslag brandgevaarlijke stoffen (vervallen)

Bijlage 6 Opslag brandgevaarlijke stoffen (vervallen)

Bijlage 7 Kwaliteitseisen voor buizen en hulpstukken van de buitenriolering op erven en terreinen

Bijlage als bedoeld in artikel 2.7.6

De NEN-normen, bedoeld in artikel 2.7.6, zesde lid, zijn de volgende:

  • a.

    NEN 7002, uitgave 1968, ‘Centrifugaal gegoten gietijzeren afvoerbuizen’ (met correctieblad d.d. december 1979);

  • b.

    NEN 7003, uitgave 1968, ‘Hulpstukken voor gietijzeren afvoerbuizen’ (met correctieblad d.d. december 1979);

  • c.

    NEN 7013, uitgave 1980, ‘Expansiestukken van PVC en ABS voor binnen- en buitenrioleringen’;

  • d.

    NEN-EN 1401-1, uitgave 2009, ‘Kunststofleidingsystemen voor vrij verval buitenriolering – Ongeplasticeerd PVC (PVC-U) – Deel 1. Eisen voor buizen, hulpstukken en het systeem’ (Engelstalig);

  • e.

    NEN-EN 295-1, uitgave 1992, ‘Keramische buizen en hulpstukken, alsmede buisverbindingen voor riolering onder vrij verval, met inbegrip van de aanvullingsbladen A1, uitgegeven 1996, A2, uitgegeven 1997, en A3, uitgegeven 1999 – Deel 1. Eisen’ (Engelstalig);

  • f.

    NEN-EN 295-2, uitgave 1992, ‘Keramische buizen en hulpstukken, alsmede buisverbindingen voor riolering onder vrij verval, met inbegrip van aanvullingsblad A1, uitgegeven 1999 – Deel 2. Kwaliteitscontrole en monstername’ (Engelstalig);

  • g.

    NEN-EN 295-3, uitgave 1992, ‘Keramische buizen en hulpstukken, alsmede buisverbindingen voor riolering onder vrij verval – Deel 3. Beproevingsmethoden’ (Engelstalig).

Bijlage 8 Checklist voor de visuele inspectie van woningen en daarmee vergelijkbare bouwwerken op de aanwezigheid van asbest (vervallen)

Bijlage 9 Reglement van Orde op de Adviescommissie voor Ruimtelijke Kwaliteit

1. Taakomschrijving

Artikel 1.1 Onafhankelijkheid

  • 1.

    De Adviescommissie voor ruimtelijke kwaliteit (verder te noemen ‘de commissie’) is een door de gemeenteraad benoemde onafhankelijke adviescommissie. De Stichting WZNH adviescommissies voor ruimtelijke kwaliteit (verder te noemen WZNH), is namens gemeente Bloemendaal verantwoordelijk voor de organisatie en het functioneren van de commissie.

  • 2.

    De leden zijn onafhankelijk ten opzichte van het gemeentebestuur en de gemeentelijke organisatie. Er bestaan geen bindingen of relaties op basis waarvan de adviezen over ruimtelijke kwaliteit worden beïnvloed.

  • 3.

    Indien een commissielid in enige vorm betrokken is bij een te beoordelen plan maakt het lid deze betrokkenheid tijdig kenbaar en wordt het plan behandeld zonder inbreng van het betreffende lid. Van deze formele stap wordt in het advies melding gemaakt. Indien de voorzitter van de commissie dit nodig acht wordt het betreffende lid vervangen door een invaller of wordt het advies – in overleg met burgemeester en wethouders - voorgelegd aan een andere onder WZNH ressorterende commissie.

Artikel 1.2 Taakomschrijving

  • 1.

    De commissie voert de taken uit die zijn omschreven in artikel 9.1 van de gemeentelijke Bouwverordening.

  • 2.

    Ten aanzien van de welstandsadvisering gelden de volgende uitwerkingen:

  • a.

    De commissie is de welstandscommissie van de gemeente, conform de Woningwet art. 12. De commissie adviseert burgemeester en wethouders desgevraagd over de welstandsaspecten van aanvragen voor een omgevingsvergunning voor het bouwen.

  • b.

    De commissie beoordeelt op verzoek van burgemeester en wethouders of het uiterlijk van een bouwwerk of standplaats in ernstige mate in strijd is met redelijke eisen van welstand.

  • c.

    De commissie is hierbij gebonden aan het gemeentelijk welstandsbeleid en baseert welstandsadviezen uitsluitend op de in de welstandsnota genoemde welstandscriteria, of op expliciet als welstandscriteria omschreven criteria in andere – als aanvulling op de welstandsnota door de gemeenteraad vastgestelde - beleidsdocumenten, zoals bijvoorbeeld een beeldkwaliteitplan.

  • 3.

    Ten aanzien van de monumentenadvisering gelden de volgende uitwerkingen:

  • a.

    De commissie is de monumentencommissie van de gemeente, conform de Monumentenwet 1988 art. 15. De commissie adviseert burgemeester en wethouders over de monumentale aspecten van aanvragen voor een omgevingsvergunning.

  • 4.

    De commissie adviseert burgemeester en wethouders tevens gevraagd en ongevraagd over bestemmingsplannen, stedenbouwkundige plannen, erfgoedbeleid en andere relevante plannen met betrekking tot de ruimtelijke ontwikkeling en de ruimtelijke kwaliteit van de gemeente.

  • 5.

    De commissie voert onder regie van de gemeente vooroverleg met betrokkenen bij de voorbereiding van plannen.

  • 6.

    De commissie vormt een klankbord voor ambtenaren en externe deskundigen die betrokken zijn bij de begeleiding en borging van ruimtelijke kwaliteit.

  • 7.

    De commissie overlegt desgevraagd met de betrokken ambtelijke afdelingen, burgemeester en wethouders en de gemeenteraad over het opstellen van welstandsbeleid en monumentenbeleid en eventueel andere instrumenten voor ruimtelijk kwaliteitsbeleid.

  • 8.

    De commissie levert desgevraagd een bijdrage aan het bevorderen van de openbaarheid van het welstandstoezicht, het maatschappelijk draagvlak voor welstandstoezicht en het stimuleren van de discussie over ruimtelijke kwaliteit in de gemeente.

2. Samenstelling

Artikel 2.1 Samenstelling

De commissie is samengesteld conform artikel 9.2 van de gemeentelijke Bouwverordening.

Artikel 2.2 Voordracht, benoeming, zittingstermijn

  • 1.

    De leden worden door WZNH als kandidaat aan burgemeester en wethouders voorgedragen ter benoeming door de raad.

  • 2.

    Benoemingen gelden voor een periode van drie jaar met een mogelijkheid tot herbenoeming voor een periode van nog een maal drie jaar. Omwille van de continuïteit worden de leden van de commissie benoemd en herbenoemd in een alternerend systeem.

  • 3.

    Door WZNH wordt een rooster van aftreden bijgehouden van de leden die door haar worden voorgedragen. WZNH doet drie maanden voor het verstrijken van een benoemingstermijn een voorstel tot herbenoeming aan burgemeester en wethouders.

Artikel 2.3 Voortijdige beëindiging van de benoeming van commissieleden

  • 1.

    De commissieleden kunnen ten allen tijde kenbaar maken hun benoeming te willen beëindigen. Zij geven hiervan schriftelijk drie maanden tevoren kennis aan WZNH, die dit onverwijld kenbaar maakt burgemeester en wethouders.

  • 2.

    De gemeenteraad kan in voorkomende gevallen, na overleg met WZNH, de benoeming van een lid of meerdere leden van de commissie voortijdig beëindigen, wanneer het betreffende commissielid of -leden naar zijn oordeel niet naar behoren functioneert of functioneren.

Artikel 2.4 Profielschets van de commissieleden

  • 1.

    De commissieleden moeten geïnteresseerd zijn in de gemeente en deze kennen of willen leren kennen.

  • 2.

    De commissieleden zijn bereid zich te verdiepen in het ruimtelijk kwaliteitsbeleid in brede zin van de gemeente en baseren zich bij de beoordeling van plannen op het gemeentelijk beleid.

  • 3.

    De commissieleden moeten in staat zijn plantekeningen te lezen en cultureel besef en kennis hebben van de (geschiedenis van de) bouwkunst.

  • 4.

    De commissieleden beschikken over voldoende communicatieve vaardigheden om hun oordeel begrijpelijk te verwoorden, met respect voor allen die bij de advisering een rol spelen.

  • 5.

    De commissieleden hebben een geheimhoudingsplicht inzake de aan hen voorgelegde plannen en beleidsdocumenten, niet zijnde openbare vergunningaanvragen.

  • 6.

    De commissieleden zijn onpartijdig, zij mogen geen persoonlijk belang hebben bij de door het bevoegd gezag te nemen beslissingen en zij mogen hun taak niet met vooringenomenheid vervullen.

  • 7.

    De commissieleden hebben geen professionele binding met de gemeente, zij mogen niet werkzaam zijn bij een bedrijf waarmee de gemeente een raamovereenkomst heeft afgesloten.

Artikel 2.5 Verantwoordelijkheden van de voorzitter

  • 1.

    De voorzitter is verantwoordelijk voor het functioneren van de commissie en bewaakt de deugdelijkheid van de advisering in brede zin.

  • 2.

    De voorzitter geeft leiding aan de vergadering en bewaakt de voortgang van de agenda. In de discussies draagt hij of zij er zorg voor dat alle commissieleden hun mening voldoende naar voren kunnen brengen. Na de discussie geeft de voorzitter een samenvatting van het uit te brengen advies, als basis voor de schriftelijke uitwerking.

  • 3.

    De voorzitter treedt op als gastheer of –vrouw voor de planindieners, ontwerpers en andere bezoekers.

  • 4.

    De voorzitter organiseert met de commissie een jaarlijkse, inhoudelijke evaluatie van de werkzaamheden en heeft hiertoe ten minste eenmaal per jaar een evaluerend overleg met de portefeuillehouder. De uitkomsten van het evaluatiegesprek worden opgenomen in het jaarverslag van de commissie.

  • 5.

    De voorzitter onderhoudt de contacten met de pers en andere belangstellenden en informeert hierover tijdig de gemeente en de directie van WZNH.

Artikel 2.6 Verantwoordelijkheden van de architectleden

  • 1.

    De architectleden zijn gezamenlijk verantwoordelijk voor de vakinhoudelijke kwaliteit van de welstandsadviezen.

  • 2.

    Een architectlid is een geregistreerde architect die zich door opleiding en ervaring kwalificeert om zitting te nemen in de commissie.

  • 3.

    De architectleden hebben een eigen, actieve beroepspraktijk en hebben ervaring met het beoordelen van ontwerpen van (aanstaande) collega’s in bijvoorbeeld onderwijssituaties of jury’s.

Artikel 2.7 Verantwoordelijkheden van de monumentenleden

  • 1.

    De monumentenleden zijn gezamenlijk verantwoordelijk voor de vakinhoudelijke kwaliteit van de monumentenadviezen.

  • 2.

    Een monumentenlid is deskundig op het gebied van ruimtelijke historie, cultuurhistorie, bouwhistorie, restauratiearchitectuur of archeologie en kwalificeert zich door opleiding en ervaring om zitting te nemen in de commissie.

  • 3.

    De monumentenleden zijn tevens lid van de Monumentenadviescommissie van WZNH. Zij zijn bevoegd om te adviseren onder verantwoordelijkheid van deze commissie. Bij enige vorm van twijfel houden zij de aanvraag aan om de Monumentenadviescommissie te kunnen raadplegen. De commissie neemt in dergelijke gevallen het monumentenadvies van de Monumentenadviescommissie over.

3. Jaarlijkse verantwoording

Artikel 3.1 Jaarverslag

  • 1.

    De commissie stelt ter uitvoering van artikel 12b lid 3 Woningwet jaarlijks voor de gemeenteraad een verslag op van haar werkzaamheden, genoemd het jaarverslag.

  • 2.

    Het verslagjaar loopt van januari tot en met december. Het jaarverslag wordt jaarlijks vóór 1 juli aangeboden aan de gemeenteraad.

  • 3.

    Op verzoek van de raad wordt het jaarverslag gepresenteerd tijdens een raadsvergadering of een andere bijeenkomst.

  • 4.

    Het jaarverslag wordt, na aanbieding aan de raad, besproken in een evaluatiegesprek met de portefeuillehouder.

4. Termijn van advisering

Artikel 4.1 Termijn van advisering

  • 1.

    Bij vergunningaanvragen adviseert de commissie binnen de termijnen zoals vastgesteld in artikel 9.1 lid 3 van de Bouwverordening.

  • 2.

    Binnen deze termijnen kan de commissie het advies aanhouden indien meer informatie of een toelichting van de ontwerper wenselijk is.

  • 3.

    Bij adviesvragen waar (nog) geen sprake is van een vergunningaanvraag geeft de commissie aan op welke termijn zij haar advies kan uitbrengen.

  • 4.

    Indien de commissie dan wel het namens haar gemandateerde lid niet binnen de in de Bouwverordening gestelde termijn tot een advies komt, wordt de commissie geacht positief te adviseren over de aanvraag voor een omgevingsvergunning.

5. Openbaarheid en mondelinge toelichting

Artikel 5.1 Openbaarheid van de vergadering

  • 1.

    De behandeling van aanvragen voor een omgevingsvergunning door de commissie is openbaar tenzij de planindiener, het college of de commissie van mening zijn dat er op grond van artikel 10 van de Wet openbaarheid van bestuur klemmende redenen zijn voor geheimhouding. De openbaarheid geldt zowel voor de beraadslagingen als voor het formuleren van de conclusie c.q. het welstandsadvies.

  • 2.

    Belanghebbenden (op grond van artikel 1:2 lid 1 Algemene wet bestuursrecht) hebben spreekrecht, mits dit voorafgaand aan de vergadering kenbaar is gemaakt aan de voorzitter. Het spreekrecht wordt gegeven voorafgaand aan de beraadslaging door de commissie.

Artikel 5.2 Mondelinge toelichting

  • 1.

    Het geven van een mondelinge toelichting door de indiener van een plan is mogelijk.

  • 2.

    Een plantoelichting is bedoeld voor een korte toelichting op de planfilosofie en de gemaakte keuzes in relatie tot de ruimtelijke en maatschappelijke context en het gemeentelijke beleid. De toelichting wordt gegeven voorafgaand aan de beraadslaging door de commissie.

  • 3.

    De mondelinge toelichting kan namens de indiener van een plan gegeven worden door de ontwerper.

  • 4.

    De commissie kan de indiener verzoeken om een mondelinge toelichting.

  • 5.

    De gemeentelijke plantoelichter is verantwoordelijk voor de afspraken met betrekking tot mondelinge toelichtingen.

Artikel 5.3 Openbaarheid van de adviezen

De commissie adviseert aan het bevoegd gezag. Het bevoegd gezag besluit op welke wijze de adviezen van de commissie openbaar gemaakt worden.

6. Afdoening onder verantwoordelijkheid

Artikel 6.1 Advisering onder verantwoordelijkheid van de commissie

  • 1.

    De commissie kan de advisering onder haar verantwoordelijkheid overlaten aan een of meerdere daartoe aangewezen leden.

  • 2.

    Indien dit in de toekomst wettelijk mogelijk wordt gemaakt kan de commissie de welstandstoetsing van aanvragen van ondergeschikt belang onder haar verantwoordelijkheid overlaten aan een of meerdere daartoe door burgemeester en wethouders aangewezen ambtenaren van de gemeente.

  • 3.

    De commissie kan te allen tijde ad hoc afspraken maken over afdoening onder haar verantwoordelijkheid.

Artikel 6.2 Reikwijdte van de verantwoordelijkheid

  • 1.

    Afdoening onder verantwoordelijkheid van de commissie kan plaatsvinden bij een positieve beoordeling van een aanvraag.

  • 2.

    Bij afdoening onder verantwoordelijkheid van de commissie geldt dat een aanvraag bij enige vorm van twijfel wordt voorgelegd aan de commissie of een daartoe aangewezen commissielid.

  • 3.

    Bij afdoening onder verantwoordelijkheid van de commissie wordt de commissie onverwijld schriftelijk in kennis gesteld van de beoordeling.

  • 4.

    Voor afdoening onder verantwoordelijkheid van de commissie gelden dezelfde reglementen als voor advisering door de plenaire commissie.

7. Vorm waarin het advies wordt uitgebracht

Artikel 7.1 Schriftelijke advisering en motivering

  • 1.

    De commissie adviseert en motiveert haar advies schriftelijk.

  • 2.

    De conceptadviezen worden binnen vijf werkdagen na de vergadering digitaal ter kennisname aan het bevoegd gezag gezonden. Na waarmerking door de commissie worden de definitieve adviezen aangeboden aan de gemeentelijke plantoelichter.

  • 3.

    Voor wat betreft de formele welstandsadviezen geldt:

  • a.

    Het advies geeft aan of het uiterlijk en de plaatsing van een bouwwerk of een standplaats, zowel op zichzelf als in verband met de omgeving of de te verwachten ontwikkeling daarvan, al dan niet in strijd is met redelijke eisen van welstand.

  • b.

    Het advies geeft aan op welke welstandscriteria de beoordeling is gebaseerd.

  • c.

    Motivering van het advies gebeurt in ieder geval bij negatieve adviezen; bij positieve adviezen indien er sprake is van een bijzondere situatie waarbij wordt geadviseerd om een plan in afwijking van de van toepassing zijnde gebiedsgerichte c.q. objectgerichte welstandscriteria, op basis van de algemene welstandscriteria goed te keuren; en bij positieve adviezen indien het bevoegd gezag daarom verzoekt.

  • d.

    Het welstandsadvies is niet gericht op zaken die geen betrekking hebben op het welstandstoezicht.

  • e.

    Het welstandsadvies kan worden gecombineerd met suggesties voor beleid of procedurele zaken die naar mening van de commissie in acht genomen zouden moeten worden. Deze suggesties zijn vrijblijvend en staan duidelijk los van de conclusie van het welstandsadvies zelf.

  • 4.

    Bij geïntegreerde welstands- en monumentenadviezen wordt in het advies zichtbaar onderscheid gemaakt tussen de monumentenbeoordeling en de welstandsbeoordeling.

  • 5.

    Een advies zal nooit zodanig geformuleerd zijn dat één der betrokkenen zich daardoor beledigd of in goede naam of eer aangetast kan voelen.

Artikel 7.2 Conclusie van het advies

  • 1.

    Het advies kan de volgende conclusies hebben:

  • a.

    Akkoord: Het plan voldoet naar mening van de commissie aan de van toepassing zijnde beleidscriteria. Dit advies kan worden gecombineerd met suggesties om het plan op een (nog) hoger niveau te tillen. Deze suggesties zijn vrijblijvend en staan los van de conclusie van het advies zelf.

  • b.

    Akkoord op hoofdlijnen: Wordt gebruikt bij vooroverleg. De commissie staat positief tegenover de ontwikkeling van het schetsplan. Het uit te werken plan moet in een later stadium terugkomen bij commissie voor een definitief advies.

  • c.

    Niet akkoord tenzij wordt voldaan aan de voorwaarden: Het plan voldoet naar mening van de commissie niet aan de beleidscriteria, tenzij het op ondergeschikte punten wordt aangepast. Deze punten worden vastgelegd. De indiener krijgt de gelegenheid het plan binnen de termijn aan te passen.

  • d.

    Niet akkoord, nader overleg: Het plan voldoet naar mening van de commissie niet aan de beleidscriteria, de commissie wacht een nader overleg of een aangepast plan af. De negatieve beoordeling wordt beargumenteerd op basis van de criteria.

  • e.

    Niet akkoord: Het plan voldoet naar mening van de commissie niet aan de beleidscriteria. Dit betekent dat ingrijpende wijzigingen in het planconcept of de uitwerking van het ontwerp noodzakelijk zijn. De negatieve beoordeling wordt beargumenteerd op basis van de criteria.

Artikel 7.3 Toelichting op het welstandsadvies

  • 1.

    De indiener van een plan kan een mondelinge toelichting vragen op het advies.

  • 2.

    Deze toelichting wordt in eerste instantie gegeven door de gemeentelijke plantoelichter.

  • 3.

    Indien de indiener vervolgens een nadere toelichting wenst kan een afspraak worden gemaakt met de commissie.

8. Vergaderorde en werkwijze

Artikel 8.1 Vergadering

  • 1.

    De commissie vergadert op een vaste dag ten minste tweemaal per maand volgens een jaarlijks vast te stellen vergaderrooster waarin ook de vergaderlocatie wordt vastgelegd.

  • 2.

    De commissie kan slechts adviezen uitbrengen indien ten minste twee leden of hun plaatsvervangers aanwezig zijn, tenzij één van de architect leden namens de commissie gemandateerd is tot het geven van een al dan niet voorwaardelijk positief advies.

  • 3.

    De vergadering van de commissie verloopt volgens een vast protocol:

  • -

    opening door de voorzitter.

  • -

    vaststellen notulen van de vorige vergadering.

  • -

    welkom en uitleg aan bezoekers op de publieke tribune.

  • -

    inventarisatie van bezoekers die gebruik wensen te maken van spreekrecht en vaststelling van de spreektijd.

  • -

    verslag van de gemandateerde werkzaamheden die onder de openbaarheid vallen.

  • -

    behandeling van de openbare bouwplannen.

  • -

    sluiting.

  • 4.

    Voorafgaand of na afloop van de vergadering vinden besloten besprekingen plaats met de volgende agendapunten:

  • -

    verslag van gemandateerde werkzaamheden die niet onder de openbaarheid vallen

  • -

    behandeling van bouwplannen die onder de openbaarheid vallen

  • -

    behandeling van ruimtelijke plannen en andere beleidsnota’s

  • -

    overige taken en activiteiten van de Adviescommissie voor Ruimtelijke Kwaliteit

  • -

    evaluatie van de vergadering en punten voor het jaarverslag

  • -

    vaststelling van de notulen

  • 5.

    Het vergaderrooster van de commissie wordt elk jaar vóór 1 januari door WZNH opgesteld.

  • 6.

    De gemeentelijk plantoelichter verzorgt in overleg met de voorzitter, de agendering van de adviesaanvragen.

  • 7.

    De commissiecoördinator verzorgt in overleg met de voorzitter, de agendering van de vergadering als geheel.

Artikel 8.2 Stemming

  • 1.

    Alle aanwezige commissieleden dan wel hun plaatsvervangers, brengen één stem uit omtrent het uit te brengen advies.

  • 2.

    De commissie beslist omtrent het uit te brengen advies bij meerderheid van stemmen.

  • 3.

    Bij staking van de stemmen wordt de zienswijze van de voor- en tegenstanders schriftelijk aan het bevoegd gezag medegedeeld.

Artikel 8.3 Vervanging

Indien door incidentele verhindering (niet structureel voorkomende afwezigheid wegens andere verplichtingen en onvoorziene afwezigheid wegens overmacht) het quorum ontbreekt, zorgt WZNH voor gekwalificeerde vervangers.

Artikel 8.4 Onderzoek ter plaatse

De commissie stelt een onderzoek ter plaatse in, indien zij bij van oordeel is dat dit onderzoek redelijkerwijs voor de vervulling van haar taak nodig is.

Artikel 8.5 Vooroverleg

  • 1.

    Vooroverleg leidt tot een preadvies over een voorgenomen plan. Vooroverleg vindt plaats voorafgaand aan een eventuele vergunningaanvraag.

  • 2.

    Vooroverleg vindt plaats binnen de bestaande beleidscriteria. Als een plan niet binnen deze criteria past wordt dit in het preadvies aangegeven.

  • 3.

    Vooroverleg kan pas starten nadat duidelijkheid bestaat over de planologische aanvaardbaarheid van het plan. Het gemeentebestuur kan een besluit over afwijking van het bestemmingsplan mede laten afhangen van het preadvies van de commissie.

  • 4.

    Vooroverleg is niet openbaar, tenzij de planindiener en het bevoegd gezag geen bezwaar hebben tegen een openbaar vooroverleg.

  • 5.

    De commissie draagt zorg voor consistente beoordelingen in de verschillende planfasen. Preadviezen worden opgenomen in het dossier. De commissie geeft aan in welke fase het plan werd beoordeeld en op basis van welke beleidscriteria de aanvraag voor een omgevingsvergunning uiteindelijk zal worden beoordeeld.

  • 6.

    Als een plan tijdens de vooroverlegfase drie keer negatief wordt beoordeeld door de commissie en als er tijdens het proces geen noemenswaardige vooruitgang wordt geconstateerd, zal de commissie het bevoegd gezag adviseren het vooroverleg te beëindigen.

  • 7.

    Beëindiging van het vooroverleg vindt niet plaats indien het plan niet ten minste eenmaal door de plenaire commissie is beoordeeld.

  • 8.

    Indien het vooroverleg niet binnen 6 maanden na de laatste beoordeling door de commissie, wordt gevolgd door een vergunningaanvraag, wordt de behandeling gesloten. Deze termijn geldt niet indien de commissie en de indiener van het plan een andere termijn overeenkomen. Een afwijkende termijn wordt opgenomen in het advies.

Artikel 8.6 Planbegeleiding

  • 1.

    Bij het aanstellen van een supervisor, een kwaliteitsteam, een ervenconsulent of vergelijkbare planbegeleiders, zullen burgemeester en wethouders zorg dragen voor een heldere taakomschrijving en een goede afstemming tussen de planbegeleider en de commissie.

  • 2.

    Burgemeester en wethouders geven hierbij in ieder geval aan of de planbegeleider volledig zelfstandig opereert; dan wel in nauwe samenwerking met een lid van de commissie dat bevoegd is te adviseren namens de commissie; dan wel wordt benoemd als lid van de commissie met de bevoegdheid te adviseren namens de commissie.

Artikel 8.7 Ontwerpwedstrijden

  • 1.

    Bij een ontwerpwedstrijd of een ontwikkelingscompetitie worden de inzendingen beoordeeld door een speciaal aangewezen jury of beoordelingscommissie. Dit kan nooit de commissie als zodanig zijn. Een lid van de commissie kan wel op persoonlijke titel worden aangewezen als lid van een jury of beoordelingscommissie.

  • 2.

    De inzendingen van een ontwerpwedstrijd of een ontwikkelingscompetitie kunnen voor een preadvies worden voorgelegd aan de commissie.

9. Oordeel van het bevoegd gezag

Artikel 9.1 Deugdelijkheid van het advies

  • 1.

    Het bevoegd gezag vergewist zich er van dat het aan haar uitgebrachte advies naar inhoud en wijze van totstandkoming deugdelijk is.

  • 2.

    Indien dit naar mening van het bevoegd gezag niet het geval is, vraagt zij de commissie gemotiveerd om een heroverweging.

Artikel 9.2 Afwijken op inhoudelijke grond

  • 1.

    Het bevoegd gezag kan op inhoudelijke grond afwijken van het advies indien zij tot het oordeel komt dat de commissie de van toepassing zijnde beleidscriteria niet juist heeft geïnterpreteerd, of de commissie naar haar oordeel niet de juiste criteria heeft toegepast.

  • 2.

    Indien het bevoegd gezag op inhoudelijke grond tot een ander oordeel komt dan de commissie, dan kan zij voordat het besluit op de vergunningaanvraag wordt genomen een second opinion vragen aan de speciaal daarvoor bestaande Commissie voor Second Opinions van WZNH.

  • 3.

    Indien het bevoegd gezag op inhoudelijke grond afwijkt van het welstandsadvies wordt dit in de beslissing op de vergunningaanvraag gemotiveerd. De commissie wordt hiervan op de hoogte gesteld.

Artikel 9.3 Afwijken van het welstandsadvies om andere redenen

  • 1.

    Het bevoegd gezag kan een omgevingsvergunning voor het bouwen verlenen ondanks strijdigheid met redelijke eisen van welstand, indien zij van oordeel is dat daarvoor andere redenen zijn, bijvoorbeeld van economische of maatschappelijke aard.

  • 2.

    Deze afwijking wordt in de beslissing op de aanvraag van de omgevingsvergunning voor het bouwen gemotiveerd. De commissie wordt hiervan op de hoogte gesteld.

  • 3.

    Het bevoegd gezag zal uiterst terughoudend zijn met het gebruik van deze mogelijkheid omdat de ruimtelijke kwaliteit niet snel ondergeschikt wordt geacht aan economische of maatschappelijke belangen.

10.Ondersteuning

Artikel 10.1 Gemeentelijk plantoelichter

  • 1.

    Burgemeester en wethouders wijzen een ambtenaar aan als gemeentelijk plantoelichter.

  • 2.

    De gemeentelijk plantoelichter ondersteunt de commissie zodanig dat deze optimaal kan functioneren bij de uitoefening van haar taken als onafhankelijk adviesorgaan van het gemeentebestuur.

  • 3.

    De gemeentelijk plantoelichter is op geen enkele wijze, anders dan informatief, betrokken bij of verantwoordelijk voor de inhoud van de beraadslagingen en de advisering door de commissie.

  • 4.

    De gemeentelijk plantoelichter legt wat betreft de organisatorische en budgettaire aspecten verantwoording af aan burgemeester en wethouders.

  • 5.

    De gemeentelijk plantoelichter is aanwezig bij alle vergaderingen van de commissie en fungeert als dagelijks aanspreekpunt van de commissie.

  • 6.

    De gemeentelijk plantoelichter onderhoudt de contacten met de ambtelijke diensten, neemt de adviesaanvragen in en bereidt de behandeling van de plannen voor. Hij of zij controleert of de plannen zijn voorzien van de benodigde bescheiden en draagt zorg voor de benodigde informatie over de omgeving, de locatie en het plan, en overigens alle voor de beoordeling relevante informatie.

  • 7.

    De gemeentelijk plantoelichter verzorgt in overleg met de voorzitter, de agendering van de adviesaanvragen en draagt er zorg voor dat de commissie kan adviseren binnen de voorgeschreven termijn.

  • 8.

    De gemeentelijk plantoelichter maakt de afspraken voor mondelinge toelichtingen, in overleg met de commissiecoördinator.

  • 9.

    De gemeentelijke plantoelichter geeft indieners van plannen een mondelinge toelichting op het advies van de commissie.

  • 10.

    De gemeentelijke plantoelichter levert desgevraagd gegevens aan voor het jaarverslag van de commissie en neemt deel aan het evaluatieoverleg tussen de portefeuillehouder en de commissie.

Artikel 10.2 Commissiecoördinator

  • 1.

    WZNH wijst een commissiecoördinator aan. De commissiecoördinator ondersteunt de commissie zodanig dat deze optimaal kan functioneren bij uitoefening van haar taken als onafhankelijk adviesorgaan van het gemeentebestuur.

  • 2.

    De commissiecoördinator kan zowel een lid van de commissie zijn als een derde. In dat laatste geval is de commissiecoördinator op geen enkele wijze inhoudelijk betrokken bij of verantwoordelijk voor de inhoud van de beraadslagingen en de advisering door de commissie.

  • 3.

    De commissiecoördinator legt wat betreft de organisatorische en budgettaire aspecten verantwoording af aan de directeur van WZNH.

  • 4.

    De commissiecoördinator stelt het vergaderrooster op en draagt zorg voor de organisatorische contacten met de gemeente via de gemeentelijk plantoelichter.

  • 5.

    De commissiecoördinator is verantwoordelijk voor de organisatie van de vergaderingen en is aanwezig bij alle vergaderingen van de commissie.

  • 6.

    De commissiecoördinator stelt in overleg met de commissieleden, de adviezen op en zorgt voor de administratieve verwerking daarvan.

  • 7.

    De commissiecoördinator is medeverantwoordelijk voor de deugdelijkheid van de adviezen.

  • 8.

    De commissiecoördinator zorgt bij incidentele afwezigheid van de voorzitter of één van de architectleden voor een gekwalificeerde vervanger.

  • 9.

    De commissiecoördinator verzamelt de gegevens voor het jaarverslag van de commissie en neemt deel aan het evaluatieoverleg tussen het gemeentebestuur en de commissie.

Artikel 10.3 Adviseur

  • 1.

    Indien de aard van een te beoordelen plan dan wel het beleid daartoe aanleiding geeft kunnen burgemeester en wethouders op ad hoc of permanente basis specifieke deskundigen als adviseur van de commissie aanstellen.

  • 2.

    Indien de aard van een te beoordelen plan dan wel het beleid daartoe aanleiding geeft kan de commissie op eigen initiatief een specifieke deskundige als adviseur raadplegen.

  • 3.

    De adviseur is geen lid van de commissie maar wordt voorafgaand aan de beraadslaging in de gelegenheid gesteld zijn of haar visie op het plan te geven. De adviseur neemt geen deel aan de beraadslaging en heeft geen stem in de eindbeoordeling.

11. Financiële vergoeding

Artikel 11.1 Financiële vergoeding

  • 1.

    De door WZNH voorgedragen commissieleden genieten een door WZNH te bepalen en te betalen vergoeding en een vergoeding van de reiskosten.

  • 2.

    De overige leden genieten een door de gemeente te betalen presentiegeld overeenkomstig de gemeentelijke vergoedingsregeling voor commissieleden en een vergoeding van de reiskosten.

Bijlage 10 Tabel 2.6.1 behorende bij artikel 2.6.1 (brandmeldinstallaties) (vervallen)

Bijlage 11 Tabel 2.6.5 behorende bij artikel 2.6.5 (ontruimingsinstallatie) (vervallen)

Bijlage 12 Tabel 2.6.8 behorende bij artikel 2.6.8 (vluchtrouteaanduiding) (vervallen)

Toelichting op de Bouwverordening Bloemendaal 2012

Hoofdstuk 1 Inleidende bepalingen

Artikel 1.1 Begripsomschrijvingen

Bouwtoezicht

De Woningwet geeft in artikel 92 expliciet de opdracht aan burgemeester en wethouders om zorg te dragen voor de bestuursrechtelijke handhaving van het bepaalde bij of krachtens hoofdstuk I tot en met IV van de Woningwet. Op grond van artikel 5.10, lid 3 Wet algemene bepalingen omgevingsrecht (Wabo) wijzen burgemeester en wethouders ambtenaren aan die belast zijn met het toezicht op de naleving van het bepaalde bij of krachtens hoofdstuk I tot en met III van de Woningwet.

Artikel 5.10 Wabo heeft betrekking op alle vormen van toezicht (op rijks-, provinciaal en gemeentelijk niveau). Alle bestuurslagen kunnen in beginsel bevoegd gezag zijn onder de Wabo. Dit werkt ook door in de toezichtbevoegdheden. Ook ambtenaren op provinciaal of op rijksniveau kunnen onder omstandigheden als “bouwtoezicht” worden aangemerkt.

De Wabo is, zoals de Woningwet dit al vele jaren is, een lex specialis ten opzichte van de Awb. De Wabo-toezichthouders moeten ambtenaren zijn, zoals dit ook het geval is met de Woningwet. De ingehuurde toezichthouders die geen ambtenaar zijn, zijn onrechtmatig aangewezen. Zij verrichten hun werkzaamheden voor de gemeente onrechtmatig, wat consequenties heeft voor hun bevoegdheden, het bewijsrecht e.d.

Artikel 1.2, lid 1, onder g van de Collectieve arbeidsvoorwaardenregeling en de Uitwerkingsovereenkomst (CAR-UWO) maakt het echter mogelijk om toezichthouders die aangesteld moeten zijn als ambtenaar om hun toezichthoudende taken te mogen uitoefenen, onbezoldigd aan te stellen zonder dat de CAR-UWO op hen van toepassing wordt. Op basis daarvan kunnen gemeenten dus toezichthouders inhuren via particuliere bureaus en aanstellen als onbezoldigd ambtenaar.

De toezichthouder kan een aanstelling als buitengewoon opsporingsambtenaar krijgen, als deze voldoet aan de daartoe gestelde eisen.

Zie hiervoor: http://www.rijksoverheid.nl/onderwerpen/buitengewoon-opsporingsambtenaar.Zie over dit onderwerp ook de VNG-ledenbrief: Uitbreiding art. 1:2 CAR: (Lbr.07/17, CvA/LOGA 07/04) (5 april 2007)

Bouwwerk en gebouw

De definitie van bouwen in artikel 1 van de Woningwet maakt gebruik van de als bekend veronderstelde term bouwwerk. De inhoud van de term bouwwerk wordt bepaald door de begripsomschrijving in de bouwverordening en de jurisprudentie.

De Woningwet maakt op diverse plaatsen onderscheid tussen gebouwen en bouwwerken, niet zijnde een gebouw. Het begrip gebouw is bepaald in artikel 1 van de Woningwet.

Artikel 1.3 Indeling van het gebied van de gemeente

Algemeen

Sinds 1 juli 2008 geldt de Wet ruimtelijke ordening (Wro). In afwijking van de daarvoor geldende Wet op de Ruimtelijke Ordening (WRO) moet op grond van de nieuwe wet ook een bestemmingsplan worden vastgesteld voor de bebouwde kom.

Ook bestaat de mogelijkheid een beheersverordening vast te stellen, indien voor het betreffende gebied geen grote veranderingen worden verwacht. Een beheersverordening vervangt een bestemmingsplan. Op grond van overgangsrecht dient uiterlijk op 1 juli 2013 een bestemmingsplan nieuwe stijl of beheersverordening te gelden voor alle gebieden van de gemeente.

De bouwverordening voorziet in hoofdstuk 2 in de stedenbouwkundige bepalingen voor gebieden waar geen bestemmingsplan geldt. Artikel 9 van de Woningwet bevat een afstemmingsregeling tussen bestemmingsplan en bouwverordening. Zolang geen bestemmingsplan of beheersverordening voor de bebouwde kom van kracht is, kan het oude artikel 1.3 worden gehandhaafd. Het vaststellen van een bestemmingsplan voor de bebouwde kom kan gevolgen hebben voor dit artikel en de daarop gebaseerde kaartbijlagen. Wanneer voor de bebouwde kom een bestemmingsplan wordt vastgesteld, dient te worden bezien of en in hoeverre artikel 1.3 van de bouwverordening daarop moet worden afgestemd of wellicht overbodig is geworden.

Hoofdstuk 2 Omgevingsvergunning voor het bouwen

Algemeen

Regeling omgevingsrecht

De indieningvereisten staan vermeld in artikel 7.2 van de Regeling omgevingsrecht (Mor). De Mor vervangt op dit punt het Besluit indieningvereisten aanvraag bouwvergunning.

De indiening van de in art. 7.2 Mor en andere voor de beoordeling van de aanvraag noodzakelijke gegevens kan het bevoegd gezag verlangen op grond van art. 4.2 Algemene wet bestuursrecht (Awb) juncto art. 4.4 Besluit omgevingsrecht (Bor).

Wet BIBOB

De Wet bevordering integriteitbeoordelingen door het openbaar bestuur (BIBOB), Stb. 2002, 347, en het daaraan gekoppelde Besluit BIBOB, Stb. 2003, 180 zijn per 1 juni 2003 in werking getreden (Stb. 2003, 216) en nadien gewijzigd, laatstelijk in 2011. Deze wet houdt in dat na ontvangst van een aanvraag om een omgevingsvergunning voor het bouwen, door het bevoegd gezag wordt beoordeeld of over de aanvrager een integriteitadvies wordt gevraagd bij het Bureau BIBOB. Dit bureau ressorteert onder het ministerie van Justitie en is bevoegd om onderzoek te doen naar de antecedenten van de aanvrager - zowel natuurlijke als rechtspersonen - en naar de herkomst van de gelden waarmee het bouwproject wordt gefinancierd. Een negatief advies kan voor het bevoegd gezag aanleiding zijn de omgevingsvergunning te weigeren.

Het vragen van een advies door het bevoegd gezag is facultatief. Indien een advies bij het Bureau BIBOB wordt gevraagd, schort de termijn voor de behandeling van de aanvraag om een omgevingsvergunning voor het bouwen met maximaal acht weken op (4 weken + verlenging 4 weken); artikelen. 15 en 31 Wet Bibob).

Algemene wet bestuursrecht

De Algemene wet bestuursrecht (Awb) geeft algemene regels voor het rechtsverkeer tussen burger en overheid. Ook de rechtsbescherming tegen besluiten van de overheid is in de Awb opgenomen. De Awb is bij de voorbereiding van besluiten van belang voor de te volgen procedure. Dit geldt onder meer voor de gevallen waarin Afdeling 3.4 over de uniforme openbare voorbereidingsprocedure (uov) van toepassing is.

Wet ruimtelijke ordening

Op 1 juli 2008 trad de Wet ruimtelijke ordening (Wro) in werking ter vervanging van de Wet op de Ruimtelijke Ordening (WRO).

De Invoeringswet Wro gaf aanleiding tot discussie over het al dan niet kunnen voortbestaan van enkele stedenbouwkundige voorschriften uit paragraaf 2.5 van dit hoofdstuk. Dit betreft het zgn. parkeerartikel (2.5.30), de toegangsweg (2.5.3; van belang voor voertuigen van hulpverleningsdiensten om een bouwwerk te kunnen bereiken) en de bereikbaarheid van gebouwen voor gehandicapten (2.5.4). Twijfel bestaat of een even effectieve en flexibele regeling (parkeren) in een bestemmingsplan kan worden gerealiseerd. Besloten is dat artikel 9.1.4, vijfde lid van de Invoeringswet Wro vooralsnog niet in werking treedt. Het gevolg hiervan is dat de stedenbouwkundige voorschriften van dit hoofdstuk vooralsnog blijven bestaan. De artikelen 8, vijfde lid, 9 en 10 Woningwet blijven bestaan totdat het gemelde probleem is opgelost.

WOB en de openbaarheid van gegevens aanvraag omgevingsvergunning voor het bouwen

De aanvraag voor een omgevingsvergunning voor het bouwen ligt op grond van art. 3.8 Wabo voor een ieder ter inzage. Bij het indienen van een verzoek om een omgevingsvergunning voor het bouwen kan de aanvrager gemotiveerd verzoeken bepaalde gegevens niet openbaar ter inzage te leggen. De gegevens die op grond van de Wabo ter inzage liggen zijn de zakelijke gegevens die nodig zijn bij de beoordeling van het ingediende bouwplan.

De gegevens die de gemeente inwint op grond van de Wet BIBOB liggen niet ter inzage. Deze gegevens hebben een persoonlijk karakter. Zij betreffen de antecedenten van de aanvrager, van degene die bouwt en van degene die in het te bouwen bouwwerk bepaalde activiteiten onderneemt. Deze gegevens zijn gevoelig voor misbruik en liggen niet ter inzage.

Wet algemene bepalingen omgevingsrecht

De Wet algemene bepalingen omgevingsrecht (Wabo) introduceert de omgevingsvergunning. De bouwvergunning maakt deel uit van de omgevingsvergunning en wordt in de bouwverordening aangeduid als omgevingsvergunning voor het bouwen (art. 2.1 Wabo) De Wabo heeft gevolgen voor de vergunningen en ontheffingen van de bouwverordening. De bouwverordening is met de 13e serie van wijzigingen zgn. Wabo-proof gemaakt. De gefaseerde behandeling van een vergunningaanvraag en de vergunningverlening zoals bekend onder de Woningwet, is ook onder de Wabo mogelijk ten aanzien van de omgevingsvergunning.

Paragraaf 2.1 Gegevens en bescheiden

Artikel 2.1.5 Bodemonderzoek

Inleiding

De artikelen over het bodemonderzoek in de bouwverordening hebben tot doel te bevorderen dat niet wordt gebouwd op verontreinigde grond. Artikel 2.4.1 bevat het verbod tot bouwen op verontreinigde grond. Bij dit artikel is een uitvoerige toelichting geplaatst waarin de hele route van een bodemonderzoek wordt beschreven, de van toepassing zijnde normen en de relatie wordt aangeduid met de voorschriften uit de Woningwet en de Regeling omgevingsrecht.

De hierna vermelde toelichting per artikellid is beknopt. Een uitvoeriger beschrijving van het hele proces staat vermeld in de toelichting bij artikel 2.4.1. Geadviseerd wordt beide toelichtingen in combinatie met elkaar te lezen.

Lid 1

Uit de systematiek van NEN 5740 volgt dat voorafgaand aan het milieuhygiënisch bodemonderzoek eerst een vooronderzoek volgens NEN 5725 wordt uitgevoerd - ook wel historisch onderzoek genoemd - ten behoeve van het formuleren van de onderzoekshypothese en een eventuele onderverdeling van het terrein. Indien het vooronderzoek naar de historie en de bodemgesteldheid uitwijst dat de locatie onverdacht is, kan het bevoegd gezag op basis van het derde lid besluiten af te wijken van de verplichting tot het uitvoeren van het verkennend onderzoek. Letter c richt zich specifiek op het onderzoek naar asbest in de grond. Het bodemonderzoek volgens NEN 5740 is niet toereikend om asbest in grond te onderzoeken. Daartoe is de NEN 5707, uitgave 2003 ontwikkeld.

Niet langer is in dit artikel geregeld bij welke instantie de burger een beoordeling van de onderzoeksopzet van het bodemonderzoek kan vragen. Thans wordt dit beschouwd als een interne organisatorische kwestie van de gemeente. De mogelijkheid om een dergelijke beoordeling te vragen kan nog steeds als dienstverlening aan de burger worden aangeboden. De gemeente maakt bekend dat en waar een dergelijke beoordeling kan plaatsvinden. Meestal is dit een afdeling of dienst milieu of een intergemeentelijke milieudienst dan wel een private organisatie/adviesbureau waaraan de gemeente bepaalde werkzaamheden heeft uitbesteed.

Lid 3

In plaats van de ontheffing, die voorheen in dit lid stond, is nu een bevoegdheid tot het afwijken opgenomen. Er komt geen afzonderlijk besluit tot het afwijken, geen beschikking. De omgevingsvergunning van de Wet algemene bepalingen omgevingsrecht is er immers op gericht alles in één brede omgevingsvergunning te regelen. De mogelijkheid om geen onderzoeksgegevens op te vragen wordt geboden door artikel 4.4, lid 2 Bor.

Lid 4

Bouwwerken met een beperkte instandhoudingtermijn kunnen velerlei zijn, van klein tot groot en voor een zeer divers gebruik. Vermelding van deze categorie betekent niet dat in alle gevallen kan worden afgeweken van de plicht tot het indienen van een onderzoeksrapport. De gemeente kan hiervoor beleid ontwikkelen.

Lid 5

De strekking van dit lid is het tegengaan dat een bodemonderzoek plaatsvindt voordat de bestaande bebouwing wordt gesloopt en eventueel ten gevolge van deze werkzaamheden een bodemverontreiniging optreedt die dan niet wordt gesignaleerd.

Dit betekent dat het resultaat van een bodemonderzoek niet altijd kan worden overgelegd bij de aanvraag om een omgevingsvergunning voor het bouwen. Daarom behoort dit onderzoek tot de bescheiden die ook later kunnen worden ingediend.

Paragraaf 2.4 Het tegengaan van bouwen op verontreinigde bodem

Artikel 2.4.1 Verbod tot bouwen op verontreinigde grond

Algemeen

In het tweede lid, onder c, van artikel 8 van de Woningwet wordt aan de gemeenteraden de opdracht gegeven om in de bouwverordening voorschriften op te nemen over het tegengaan van bouwen op verontreinigde bodem. In het derde lid van genoemd artikel 8 is uitgewerkt op welke bouwwerken deze voorschriften betrekking dienen te hebben. Het woord 'uitsluitend' in de redactie van dit derde lid duidt erop dat aanvulling in de bouwverordening niet is toegestaan.

De indieningvereisten voor het in behandeling nemen van een aanvraag om een omgevingsvergunning voor het bouwen, waartoe het bodemonderzoek behoort, staan in de Regeling omgevingsrecht. De structuur is als volgt:

Bij de aanvraag om een omgevingsvergunning voor het bouwen moet een onderzoeksrapport betreffende de bodemgesteldheid worden overgelegd, aldus artikel 2.4 onder d. van de Regeling omgevingsrecht.

Artikel 4.4, lid 2 van het Bor bepaalt dat gegevens en bescheiden waarover het bevoegd gezag al beschikt, niet opnieuw behoeven te worden verstrekt. Dit geldt in beginsel ook voor gegevens die zijn verstrekt in de periode dat de Wabo nog niet in werking was getreden, en die als archiefbescheiden in bewaring worden gehouden als bedoeld in artikel 3 van de Archiefwet 1995. Uit het algemene bestuursrecht volgt dat het bevoegd gezag wel gehouden is de volledigheid en actualiteit te toetsen van de gegevens en bescheiden die de aanvrager niet bij de aanvraag verstrekt, omdat deze al in het bezit van het bevoegd gezag zijn.

Indien blijkt dat de ingediende bescheiden (waaronder het bodemonderzoeksrapport) onvoldoende zijn en dit gebrek niet kan worden opgelost door het stellen van een voorwaarde bij de vergunningverlening, wordt de aanvrager in overeenstemming met artikel 4:5 van de Awb in de gelegenheid gesteld de ontbrekende gegevens aan te vullen.

Indien de aard van het bouwplan daartoe aanleiding geeft, kan het bevoegd gezag in een voorwaarde bij de omgevingsvergunning bepalen dat de desbetreffende gegevens en bescheiden alsnog moeten worden verstrekt voordat met de bouw mag worden begonnen. Tevens wordt hierbij een termijn gesteld en een exacte aanduiding welke gegevens en bescheiden worden verlangd, aldus de Regeling omgevingsrecht.

De gezondheidsrisico's voor de mens bij het gebruik van het bouwwerk vormen in deze benadering het onderscheidend criterium. Veiligheid en gezondheid zijn immers sinds de invoering van de Woningwet in 1901 belangrijke grondslagen van de wet. Gelet op de uitgangspunten van de Woningwet, kan de schade voor het milieu geen motief zijn voor de voorschriften in de bouwverordening met betrekking tot het tegengaan van bouwen op verontreinigde grond. Dit in tegenstelling tot de Wet bodembescherming waarbij het herstel van de functionele eigenschappen van de bodem voor mens, plant en dier centraal staat.

Met de inwerkingtreding van de Wabo is dit onderscheid minder van belang. Deze wet verenigt in een overkoepelend vergunningstelsel milieueisen, bouw- en sloopeisen. Zie artikel 6.2, sub c van de Wabo.

Bouwwerken bestemd voor het verblijf van mensen

De inhoud van dit artikel zal met de eerste wijziging (2013) van het Bouwbesluit 2012 in het Bouwbesluit worden opgenomen. Thans wordt bezien hoe het begrip ‘waarin voortdurend of nagenoeg voortdurend personen zullen verblijven’ kan worden geconcretiseerd.

Het doel van het artikel is en blijft: Het doel van de voorschriften is dat niet wordt gebouwd op een bodem die dusdanig verontreinigd is, dat hierdoor gevaar voor de gezondheid van personen ontstaat.

Wat verstaan moet worden onder 'bouwwerken waarin voortdurend of nagenoeg voortdurend mensen zullen verblijven' wordt in de Memorie van toelichting bij de Wet tot wijziging van de Woningwet inzake het tegengaan van bouwen op verontreinigde grond (TK 1995-1996, 24 809, nr. 3) nader omschreven. Het betreft hier bouwwerken waarin dagelijks gedurende enige tijd dezelfde mensen verblijven, bijvoorbeeld om te werken of onderwijs te geven of te genieten. Bij 'enige tijd' moet gedacht worden aan een verblijfsduur van twee of meer uren per (werk)dag. Het gaat dus niet om een enkele keer twee of meer uren, maar om een meer structureel (over een langere periode dan één dag) twee of meer uren verblijven van dezelfde mensen in het gebouw.

Gebouwen voor het opslaan van materialen of goederen, voor het telen of kweken van land- en tuinbouw producten evenals gebouwen ten behoeve van nutsvoorzieningen, zoals elektriciteitshuisjes en gebouwen voor de waterhuishouding of -zuivering, worden in de Memorie van toelichting genoemd als voorbeelden van bouwwerken waarin niet voortdurend of nagenoeg voortdurend mensen verblijven. De omstandigheid dat in deze bouwwerken wel eens mensen aanwezig zijn, bijvoorbeeld voor het verrichten van over het algemeen kort durende werkzaamheden, zoals onderhoudswerkzaamheden, maakt die gebouwen nog niet tot gebouwen die feitelijk zijn bestemd voor het verblijven van mensen. In de Nota naar aanleiding van het verslag (TK, 1997-1996, 24809, nr. 5, p. 6) wordt naar aanleiding van Kamervragen verder opgemerkt dat een recreatiewoning (in termen van het Bouwbesluit een logiesverblijf) onder het begrip 'voortdurend of nagenoeg voortdurend verblijven van mensen' valt, terwijl dit niet geldt voor een schuur of garage bij een woning.

Bouwwerken die de grond niet raken

Hierbij moet gedacht worden aan dakkapellen en het realiseren van een extra verdieping op een gebouw. De Memorie van toelichting noemt in dit kader ook vergunningplichtige inpandige verbouwingen, werkzaamheden aan een fundering of het maken van een kelder als voorbeeld. Indien de bouwwerkzaamheden gepaard gaan met een functiewijziging kan echter onverminderd bodemonderzoek worden geëist.

Bevoegd gezag bij ernstig en niet-ernstig geval van bodemverontreiniging

Burgemeester en wethouders zijn het bevoegde gezag om te beslissen of bij niet-ernstige gevallen van bodemverontreiniging mag worden gebouwd.

Gedeputeerde staten of burgemeester en wethouders van de gemeenten, die daartoe zijn aangewezen, zijn het bevoegde gezag ten aanzien van de te nemen saneringsmaatregelen, indien sprake is van een ernstig geval van verontreinigde grond zijn.

Bij Besluit aanwijzing bevoegd gezag gemeenten Wet bodembescherming (Besluit van 12 december 2000) zijn gemeenten aangewezen die voor de toepassing van delen van deze wet worden gelijk gesteld met een provincie (art. 88, zevende lid Wet bodembescherming). Het gevolg is dat de provincie bevoegd gezag is en dat de vier grote steden op grond van de Wbb plus nog 25 aangewezen gemeenten bevoegd gezag zijn krachtens genoemd Besluit.

Met de invoering van de Waterwet is het waterbodembeheer van de Wet bodembescherming overgegaan naar de Waterwet.

Hoe werkt de verbodsbepaling in de praktijk

Indien noch uit een bodemonderzoek noch op basis van een redelijk vermoeden kan worden gesteld dat sprake is van een ernstig geval van verontreiniging geldt er voor de omgevingsvergunning voor het bouwen geen aanhoudingsverplichting en moet het bevoegd gezag beslissen op de bouwaanvraag. Het feit dat geen sprake is van een ernstig geval van verontreiniging neemt echter niet weg dat toch sprake kan zijn van een verontreiniginggraad waarbij gevaar is te verwachten voor de gezondheid van de gebruikers van het bouwwerk. Hoewel het bevoegd gezag de omgevingsvergunning voor het bouwen in deze gevallen formeel kan weigeren, zal echter veelal volstaan kunnen worden met het stellen van aanvullende voorwaarden dat bepaalde voorzieningen worden getroffen. Zie hiervoor de toelichting onder artikel 2.4.2 van bouwverordening.

Voor gevallen met een ernstige bodemverontreiniging geldt een aanhoudingsverplichting totdat het bevoegde gezag als bedoeld in de Wet bodembescherming een saneringsplan heeft goedgekeurd. Zodra het saneringsplan is goedgekeurd dient een beslissing te worden genomen op de bouwaanvraag. Ook in deze gevallen zal de vergunning in de regel verleend kunnen worden onder de voorwaarde dat vooruitlopend op de aanvang van de bouwwerkzaamheden, de op grond van het goedgekeurde saneringsplan noodzakelijke voorzieningen worden getroffen.

Artikel 2.4.2 Voorwaarden omgevingsvergunning voor het bouwen

Niet ernstige gevallen van bodemverontreiniging, waarin naar het oordeel van het bevoegd gezag toch nog sprake is van een onaanvaardbare verontreiniginggraad, zijn meestal overzichtelijke gevallen. Op korte termijn en zonder de noodzaak van saneringsonderzoek is aan te geven op welke wijze het verontreinigingprobleem kan worden ondervangen.

In dit soort niet ernstige gevallen hoeft de conclusie, dat het terrein verontreinigd is, niet te leiden tot weigering van de omgevingsvergunning voor het bouwen.

In de voorwaarden van de omgevingsvergunning voor het bouwen kan aangegeven worden op welke wijze het terrein gesaneerd moet worden en - in relatie tot de bouw - op welk tijdstip. Als saneringsvoorwaarden valt te denken aan:

  • -

    de voorwaarde, dat onder het bouwwerk een isolerende en dampremmende laag wordt aangebracht;

  • -

    de voorwaarde, dat een bepaald deel van de bodem wordt afgegraven en afgevoerd, alsmede het aanbrengen van een schone bodemlaag;

  • -

    de voorwaarde, dat een pompinstallatie ter zuivering van het grondwater wordt aangebracht en gedurende een aantal jaren na de totstandkoming van het bouwwerk in stand wordt gehouden.

Er wordt op gewezen, dat sanering in deze gevallen in principe een verantwoordelijkheid van de aanvrager om omgevingsvergunning voor het bouwen is. Het kan in het belang van de aanvrager zijn, als deze bij het overleggen van de aanvraag om omgevingsvergunning voor het bouwen voor het bouwen op een verontreinigde bodem tevens aangeeft hoe deze de sanering denkt te laten plaatsvinden.

Ook bouwaanvragen waarbij sprake is van een ernstig geval van bodemverontreiniging kunnen op grond van dit artikel worden afgedaan.

Paragraaf 2.5 Voorschriften van stedenbouwkundige aard en bereikbaarheidseisen

Algemeen

Op 1 juli 2008 trad de Wet ruimtelijke ordening (Wro) in werking ter vervanging van de Wet op de Ruimtelijke Ordening (WRO). De Invoeringswet Wro gaf aanleiding tot discussie over het al dan niet kunnen voortbestaan van enkele stedenbouwkundige voorschriften uit paragraaf 2.5. Dit betreft het zgn. parkeerartikel (2.5.30). Twijfel bestaat of een even effectieve en flexibele regeling (parkeren) in een bestemmingsplan kan worden gerealiseerd. Besloten is dat artikel 9.1.4, vijfde lid van de Invoeringswet Wro vooralsnog niet in werking treedt. Het gevolg hiervan is dat de stedenbouwkundige voorschriften van paragraaf 5 van hoofdstuk 2 vooralsnog blijven bestaan. De artikelen 8, vijfde lid, 9 en 10 Woningwet blijven bestaan totdat het gemelde probleem is opgelost.

Het parkeren regelen in een bestemmingsplan is nu ook mogelijk. Gemeenten die dit nu doen, kunnen hiermee door gaan. Voor zover planologische onderwerpen zijn geregeld in een bestemmingsplan, treedt voor die onderwerpen de bouwverordening terug (art. 9 Woningwet).

Relatie stedenbouwkundige bepalingen en het bestemmingsplan

Artikel 9 van de Woningwet is hier van groot belang. Dit betekent dat deze paragraaf van de bouwverordening alleen dan geldt indien er geen bestemmingsplan voorhanden is, of indien het desbetreffende bestemmingsplan niet-vergelijkbare voorschriften van stedenbouwkundige aard bevat. Gedacht kan worden aan een slechts ten dele goedgekeurd bestemmingsplan, een globaal eindplan, een heel oud bestemmingsplan of een bestemmingsplan met een aantal gebreken. Soms is het moeilijk te bepalen of het desbetreffende bestemmingsplan exclusief wil zijn ten opzichte van de bouwverordening. Sinds 1992 geeft de Woningwet wel enige duidelijkheid in art. 9, lid 2 (slot): '..., tenzij het desbetreffende bestemmingsplan anders bepaalt.' Het primaat ligt bij het bestemmingsplan. De Woningwet gaat er echter eenvoudigweg van uit dat bestemmingsplannen voor wat dit onderwerp betreft volstrekt duidelijk zijn. Dit is echter niet altijd het geval. Indien er sprake is van onduidelijkheid zal een en ander van geval tot geval bekeken moeten worden. Is een van deze gevallen aan de orde, dan vullen de stedenbouwkundige bepalingen (inclusief het afwijken hiervan) uit de bouwverordening het bestemmingsplan aan.

Alvorens in een concreet geval tot aanvullende werking van de bouwverordening wordt geconcludeerd, dient een drieledige toets te worden uitgevoerd:

  • a.

    bevat het bestemmingsplan voorschriften met betrekking tot een onderwerp dat tevens in de bouwverordening wordt gereguleerd? Luidt het antwoord ontkennend, dan dient vervolgens de vraag te worden gesteld of,

  • b.

    het bestemmingsplan aanvullende werking van de bouwverordening ten aanzien van het desbetreffende, niet in het bestemmingsplan gereguleerde, onderwerp expliciet uitsluit. Luidt ook het antwoord op deze vraag ontkennend, dan dient ten slotte te worden bezien of,

  • c.

    de voorschriften van de bouwverordening niet overeenstemmen met de voorschriften van het bestemmingsplan, in die zin dat aanvullende werking van de bouwverordening tot gevolg heeft dat de gebruiksmogelijkheden die het bestemmingsplan biedt, geheel of nagenoeg geheel teniet worden gedaan. Is dit het geval, dan dient aanvullende werking van de bouwverordening alsnog op grond van artikel 9, eerste lid van de Woningwet te worden afgewezen.

Wet ruimtelijke ordening

De Wro en de Invoeringswet Wro hebben gevolgen voor paragraaf 2.5. van de bouwverordening. In de algemene toelichting bij hoofdstuk 2 onder Wro is hierop ingegaan. In het bijzonder ten aanzien van artikel 2.5.30 (parkeren) wijzen wij op het uitstel van de inwerkingtreding van artikel 9.1.4, vijfde lid Invoeringswet Wro. Zoals uit de eerder vermelde toelichting blijkt, blijft dit artikel vooralsnog in de bouwverordening bestaan.

Artikel 2.5.2 Anti-cumulatiebepaling

Deze bepaling dient om te voorkomen dat, indien in de bouwverordening dan wel in een bestemmingsplan bij een bepaald gebouw een zeker open terrein is geëist, dat terrein nog eens meetelt bij het beoordelen van een aanvraag voor een ander gebouw, waaraan een soortgelijke eis wordt gesteld. Deze bepaling blijkt vooral in het buitengebied betekenis te hebben.

Artikel 2.5.6 Verbod tot bouwen met overschrijding van de voorgevelrooilijn

Hoewel het begrip 'rooilijn' algemeen gedefinieerd wordt als 'de lijn die - behoudens toegelaten afwijkingen - bij het bouwen aan de wegzijde (voorgevelrooilijn) of aan de van de weg afgekeerde zijde (achtergevelrooilijn) niet mag worden overschreden', is - om misverstand te voorkomen - een direct verbod tot bouwen met overschrijding van de voorgevelrooilijn opgenomen. Vergunningvrije bouwwerken worden niet getoetst aan het bestemmingsplan, zie art. 3.25 Wro.

Artikel 2.5.7 Toegelaten overschrijding van de voorgevelrooilijn

Door de verruiming van de categorie vergunningvrije bouwwerken kan in toenemende mate samenloop ontstaan tussen vergunningvrije en vergunningplichtige werken. In onderdeel a komt de keuze tot uitdrukking voor de 'totaal- benadering' zoals die ook uit de wetsgeschiedenis is af te leiden. Dit betekent dat een vergunningvrij bouwwerk niet vergunningvrij is als het onderdeel uitmaakt van een (meeromvattend) vergunningplichtige bouwplan. Deze 'totaal-benadering' houdt echter niet in dat de vergunning dan ook mag worden geweigerd louter op dat onderdeel dat op zichzelf beschouwd vergunningvrij zou zijn. In geval van samenloop gaat het zwaarste regime voor, maar zonder dat daarmee de essentie van vergunningvrij bouwen wordt aangetast (TK, 1999-2000, 26 734, nr. 6, p. 18). De redenering is, dat bij een eenmaal gerealiseerd bouwwerk bepaalde onderdelen aan een bouwwerk aangebracht kunnen worden als vrij bouwen met overschrijding van de voorgevelrooilijn. Ingeval deze onderdelen deel uitmaken van de aanvraag om een omgevingsvergunning voor het bouwen is het niet logisch om het verbod tot overschrijding van de voorgevelrooilijn hierop van toepassing te laten zijn. De voor dit artikel van belang zijnde beperking, die artikel 3, onderdeel 7, van bijlage II bij het Besluit omgevingsrecht kent betreft een uitbreiding van het bebouwd oppervlak. Bij het aanbrengen van de daar bedoelde veranderingen mag er geen sprake zijn van een uitbreiding van het bebouwd oppervlak. Elke vergroting van een bouwwerk, waardoor een bestaande afwijking van de rooilijnvoorschriften zou toenemen, blijft dus vergunningplichtig.

Zie de figuren 1 en 2 in de bijlage die bij deze Toelichting behoort. De bedoelde figuren illustreren dat in het algemeen als veranderingen, als bedoeld in artikel 3, onderdeel 7, van Bijlage II bij het Besluit omgevingsrecht, kunnen worden beschouwd:

  • 1.

    uittreksels die lager aangebracht worden dan 2,20 m boven straatpeil, mits zij de voorgevelrooilijn met niet meer dan 0,20 m overschrijden, bij voorbeeld gevelversieringen, waaronder pilasters en gevellijsten, plinten, enigszins uitstekende schoorsteenwanden en hemelwaterafvoeren;

  • 2.

    uitsteeksels die hoger aangebracht worden dan 2,20 m boven straatpeil, mits zij de voorgevelrooilijn met niet meer dan 0,50 m overschrijden, bij voorbeeld gevelversieringen zoals kroonlijsten, dakoverstekken, dakgoten, uithangbordjes en kleine luifels. Indien uitsteeksels aan gebouwen de voorgevelrooilijn verder overschrijden dan hiervoor onder 1 en 2 aangegeven, zal het bevoegd gezag dus in het algemeen overwegen daartegen repressief op te treden. Indien in een bestemmingsplan geen eigen regeling op het gebied van rooilijnen, toelaatbare bouwhoogte e.d. is opgenomen, maar ter zake de artikelen 2.5.1 t/m 2.5.30 van de bouwverordening van kracht zijn verklaard, dan verdient het aanbeveling om onderdeel a van artikel 2.5.7 aan te vullen met de tekst van de voorgaande punten 1 en 2 (minus de voorbeelden) onder tussenvoeging van de woorden ', te weten:'.

Artikel 2.5.8 Vergunningverlening in af wijking van het verbod tot overschrijding van de voorgevelrooilijn

Naast de afwijkingsmogelijkheden bedoeld in artikel 2.5.8 kent artikel 2.5.29 nog de mogelijkheid van afwijking voor het geval, dat er geen bestemmingsplan of beheerverordening in voorbereiding is en geen van de omstandigheden als genoemd in art. 3.3 Wabo aan de orde is.

Lid 1, ad b

Deze bepaling maakt het mogelijk om een omgevingsvergunning te verlenen in afwijking van het verbod tot het bouwen met overschrijding van de voorgevelrooilijn als het gaat om het op eigen voorterrein plaatsen van beeldhouwwerk, vitrines e.d.

Artikel 2.5.9 Bouwen op de weg

Artikel 2.5.9 is afgestemd op artikel 2, Bijlage II van het Besluit omgevingsrecht. De vermelding van artikel 2, Bijlage II van het Besluit omgevingsrecht in artikel 2.5.9 is vooral van belang om het misverstand, dat de bouwverordening ook betekenis zou hebben voor zaken, die als vrij bouwen genoemd zijn in artikel 2, Bijlage II, Besluit omgevingsrecht uit te sluiten.

Zie voor het bouwen over de weg overigens artikel 2.5.8.

Artikel 2.5.10 Plaatsing van de voorgevel ten opzichte van de voorgevelrooilijn. Afschuining van straathoeken

Lid 4, onder a

Bij deze afwijking van het bouwverbod kan worden gedacht aan bijvoorbeeld complexen van bij elkaar behorende gebouwen, zoals kazernes, ziekenhuizen en gevangenissen vallen.

Lid 4, onder f

Hieronder vallen bij voorbeeld aangebouwde garages, terugliggende zolderverdiepingen e.d.

Lid 4, onder g

Deze afwijking van het bouwverbod is in het algemeen van toepassing voor gebouwen, die een ruim voorterrein vragen.

Artikel 2.5.11 Ligging van de achtergevelrooilijn

Zie de figuren 3 t/m 12, in de bij deze Toelichting behorende bijlage.

Lid 1, onder a

Deze bepaling kan voor langgerekte, taps toelopende bouwblokken tot achtergevelrooilijnen in het smalle deel van het bouwblok leiden die elkaar dicht naderen. Dit behoeft echter geen bezwaar te vormen, omdat artikel 2.5.21 de bouwhoogte dan evenredig beperkt.

Artikel 2.5.12 Verbod tot bouwen met overschrijding van de achtergevelrooilijn

Hoewel het begrip 'rooilijn' algemeen wordt gedefinieerd als 'de lijn die - behoudens toegelaten afwijkingen - bij het bouwen aan de wegzijde (voorgevelrooilijn) of aan de van de weg afgekeerde zijde (achtergevelrooilijn) niet mag worden overschreden', is - om misverstand te voorkomen - een direct verbod tot bouwen met overschrijding van de achtergevelrooilijn opgenomen.

Het geheel achter de achtergevelrooilijn bouwen moet overigens opgevat worden als een - verboden - overschrijding van de achtergevelrooilijn.

Indien gebouwd wordt aan of bij een beschermd monument of in een van rijkswege beschermd stads- of dorpsgezicht, zijn normaliter vergunningvrije bouwwerken bij wijze van uitzondering vergunningplichtig op grond van artikel 5, Bijlage II van het Bor. Zie tevens artikel 2.5.14, lid l.

Artikel 2.5.13 Toegelaten overschrijding van de achtergevelrooilijn

Artikel 2.5.13 is afgestemd op bijlage II van het Besluit omgevingsrecht. De redenering is dat bij een eenmaal gerealiseerd bouwwerk bepaalde onderdelen aan een bouwwerk vergunningvrij aangebracht kunnen worden artikel 2, Bijlage II van het Bor met overschrijding van de achtergevelrooilijn. Ingeval deze onderdelen deel uitmaken van de aanvraag om vergunning, is het niet logisch om het verbod tot overschrijding van de achtergevelrooilijn hierop van toepassing te laten zijn.

Zie tevens de twee laatste zinnen van de toelichting op artikel 2.5.7.

Artikel 2.5.14 Vergunningverlening in afwijking van het verbod tot overschrijding van de achtergevelrooilijn

Naast de afwijkingsmogelijkheden in het onderhavige artikel 2.5.14 kent artikel 2.5.29 nog de mogelijkheid tot afwijking in zeer speciale gevallen.

Artikel 2.5.14 is afgestemd op artikel 2, Bijlage II van het Bor. De vermelding hiervan is vooral van belang om het misverstand dat de bouwverordening ook betekenis zou hebben voor zaken die vergunningvrij zijn, uit te sluiten.

Wanneer ingevolge de bepalingen van dit artikel wordt afgeweken van het verbod de achtergevelrooilijn te overschrijden, dient artikel 2.5.2 in acht te worden genomen, mede in het belang van omwonenden. Voorts ware er aandacht aan te besteden, of een bouwwerk voor de brandweer bereikbaar moet blijven.

Ad a en g

Voor deze bedrijven kan tot op zekere hoogte tegemoet worden gekomen aan op bedrijfstechnische gronden gebaseerde verlangens. Met de onder g bedoelde bouwstrook (of bouwblok), geheel of overwegend handels- of industrieterrein omvattend, wordt niet beoogd een bouwstrook (of bouwblok) met winkelbebouwing.

Artikel 2.5.15 Erf bij woningen en woongebouwen

Het erf, bedoeld in dit voorschrift, mag niet worden verward met de 'buitenruimte' in de zin van het Bouwbesluit.

Naleving van het onderhavige voorschrift houdt tevens in het ruimschoots voldoen aan het bepaalde in artikel 5:50 van het Burgerlijk Wetboek, want in laatstgenoemde burenrechtbepaling wordt een maat van 2 meter voorgeschreven als minimumafstand tussen de erfgrens en muren waarin vrijelijk ramen mogen worden aangebracht.

Het vrijelijk ramen in de achtergevel kunnen aanbrengen is tevens het motief voor het bepaalde in het eerste lid, onder b. Het (gedeeltelijk) samenvallen van de achtergevel met de erfgrens vormt hiervoor immers een beletsel.

Lid 3 b, onder 1

Deze afwijkingsmogelijkheid is onder meer bedoeld voor patiowoningen.

Lid 3 b, onder 2

Indien één van de in dit lid genoemde situaties zich voordoet en er dus open ruimte achter een gebouw is, zij het dat deze niet bij het gebouw behoort en het gebouw overigens over voldoende 'uitloop' beschikt, zou kunnen worden afgeweken van de voorgeschreven erfgrootte.

Lid 3 b, onder 3

Bij de beoordeling van de vraag of er sprake is van een verbetering van de bestaande toestand zal een verkleining van het erf tot geringere oppervlakte dan volgens dit artikel is vereist slechts aanvaardbaar zijn ten behoeve van het opheffen van onbevredigende situaties in het gebouw waarvoor binnen het gebouw geen oplossing kan worden gevonden. In die gevallen zal een verbetering van het gebouw tegen een verslechtering van het erf moeten worden afgewogen. Hiertoe zal in het bijzonder aandacht moeten worden geschonken aan de functie van het erf als onderdeel van de vluchtweg bij brand en aan de bereikbaarheid van het pand door de brandweer.

Artikel 2.5.16 Erf bij overige gebouwen

Naleving van het onderhavige voorschrift houdt tevens in het voldoen aan het bepaalde in artikel 5:50 van het Burgerlijk Wetboek, want in laatstgenoemde burenrechtbepaling wordt een maat van 2 meter voorgeschreven als minimumafstand tussen de erfgrens en muren waarin vrijelijk ramen mogen worden aangebracht.

Lid 2, onder a en b

Wanneer wordt afgeweken van het bepaalde in het eerste lid, moet onder meer rekening worden gehouden met de ligging in het gebouw van eventuele dienstwoningen. Bovendien dient onderscheid te worden gemaakt tussen de gevallen, waarin het gaat om een bouwblok of een bouwstrook waarin geen woningen voorkomen en een bouwblok waarin bij voorbeeld naast bedrijfsgebouwen ook woningen voorkomen. Indien de laatste omstandigheid zich voordoet zal minder ver worden afgeweken van het bepaalde in het eerste lid, dan in het andere geval.

Artikel 2.5.17 Ruimte tussen bouwwerken

Deze bepaling is bedoeld om het ontstaan van smalle ontoegankelijke open ruimten tussen gebouwen op aangrenzende terreinen te voorkomen, omdat deze aanleiding tot hinder door vervuiling kunnen geven. De bepaling kan zowel worden nageleefd door gebouwen tegen elkaar aan te plaatsen als door een tussenruimte van meer dan een meter breedte te realiseren. Het bevoegd gezag kan de omgevingsvergunning verlenen in afwijking van het bepaalde in het eerste lid, indien de smalle open ruimte voldoende voor onderhoud bereikbaar is. Hierbij kan bijvoorbeeld gedacht worden aan een opening in de zijgevel van het gebouw.

Artikel 2.5.18 Erf- en terreinafscheidingen

Artikel 5:48 van het Burgerlijk Wetboek geeft iedere terreineigenaar het recht om zijn erf te omheinen. Uiteraard moet hij daarbij de eventuele beperkingen in de gemeentelijke voorschriften in acht nemen. Laatstgenoemde voorschriften spelen echter meestal slechts een bescheiden rol, want een erfafscheiding is in principe een vergunningvrij bouwwerk op grond van artikel 2, Bijlage II, Bor, althans indien de daarin vermelde beperkingen ten aanzien van onder meer de hoogtematen in acht worden genomen. Hogere erfafscheidingen vallen vanzelfsprekend onder de vergunningplicht en behoeven derhalve preventieve toetsing aan de voorschriften van het bestemmingsplan of het onderhavige artikel van de bouwverordening. Eventueel kan het bevoegd gezag op grond van het tweede lid van laatstgenoemd artikel de omgevingsvergunning verlenen in afwijking van het verbod als bedoeld in het eerste lid. Daarbij kan gedacht worden aan het bouwen van bijvoorbeeld een gevangenismuur of een hek ter omheining van een terrein dat geen erf, behorend bij een gebouw, is.

Artikel 2.5.19 Bouwen nabij bovengrondse hoogspanningslijnen en ondergrondse hoofdtransportleidingen

Het eerste lid strekt tot bescherming van het vergunningplichtige bouwwerk en de veiligheid van de bewoners of gebruikers daarvan. Het tweede lid ziet meer op de openbare veiligheid. De ondergrondse hoofdtransportleiding kan zowel dienen voor elektriciteit als voor aardgas, olie, chemische producten e.d.

Omdat het wenselijk is om van geval tot geval te kunnen bepalen in hoeverre het bouwen nabij hoogspanningslijnen en ondergrondse hoofdtransportleidingen toelaatbaar is en zo ja, onder welke voorwaarden, is het artikel geredigeerd als een verbod, waarvan eventueel kan worden afgeweken. Redenen om af te wijken zullen in het algemeen zijn gericht zowel op de veiligheid van de gebruikers van het bouwwerk als op het voorkomen van storingen in de goede werking van de lijnen en leidingen ten gevolge van de bouw en de aanwezigheid van het bouwwerk.

Indien het onderhavige artikel moet worden toegepast, verdient het aanbeveling om overleg te plegen met de beheerder van de hoogspanningslijn of de hoofdtransportleiding.

Langs privaatrechtelijke weg heeft menige eigenaar / beheerder een recht van opstal gevestigd, als bedoeld in artikel 5, lid 3, sub b, van de Belemmeringenwet Privaatrecht. Meestal betreft dit een gebied van 2 x 30 meter, dus een strook van 60 meter, waar niet mag worden gebouwd, met uitzondering van bepaalde bouwwerken zoals installaties e.d.

Indien in het gebied waarop het bestemmingsplan betrekking heeft een dergelijk recht van opstal is gevestigd - zie hiervoor het kadaster - dan geldt de daarin vastgelegde afstand en heeft een geringere afstand in een bestemmingsplan geen betekenis.

In veel bestemmingsplannen zijn voor uiteenlopende doeleinden zones vastgelegd, die elkaar (deels) kunnen overlappen.

Besluit externe veiligheid buisleidingen

Het Besluit externe veiligheid buisleidingen (Bevb) en de bijbehorende Regeling externe veiligheid buisleidingen (Revb) zijn op 1 januari 2011 in werking getreden. Het Bevb regelt onder andere welke veiligheidsafstanden moeten worden aangehouden rond buisleidingen met gevaarlijke stoffen. De normstelling is in lijn met het Besluit externe veiligheid inrichtingen(Bevi). De besluiten gaan voor op de gemeentelijke bouwverordening.

Het Bevb regelt onder andere dat de gemeenteraad er zorg voor draagt dat binnen vijf jaar na de datum van inwerkingtreding van het Bevb een bestemmingsplan in overeenstemming is met dit besluit.

Wanneer de betreffende buisleidingen correct in bestemmingsplannen zijn opgenomen, vervalt de werking van deze stedenbouwkundige bepaling uit de bouwverordening. Voor niet in een bestemmingsplan geregelde leidingen, blijft deze bepaling uiteraard onverkort van kracht. Dit vloeit voort uit artikel 9 Woningwet. Zie hierover de algemene toelichting bij paragraaf 5.

Zie voor meer informatie over het Bevb, Revb en Bevi:

www.infomil.nl/onderwerpen/hinder-gezondheid/veiligheid/buisleidingen

Artikel 2.5.20 Toegelaten hoogte in de voorgevelrooilijn

Dit en de volgende artikelen bevatten een samenhangend stelsel van voorschriften voor de maximumhoogten van bouwwerken in relatie tot de afstanden tot tegenoverliggende bouwwerken. Voor de duidelijkheid is aangegeven, dat het stelsel alleen voor vergunningplichtige bouwwerken is bedoeld.

Het stelsel is niet alleen gericht op stedenbouwkundige ordening, maar ook op voldoende toetredingsmogelijkheden voor licht en lucht. Gezien de vaste fysische gegevenheden op het gebied van met name de daglichttoetreding is dan ook geen onderscheid gemaakt tussen de maximumhoogten in de voor- en in de achtergevelrooilijn.

Tevens wordt in het voorschriftenstelsel de onderste meter boven straatpeil van eventuele raamoppervlakten bij de bepaling van aanvaardbare belemmeringhoeken voor de daglichttoetreding buiten beschouwing gelaten, omdat de desbetreffende glasgedeelten praktisch geen lichtopbrengst leveren en zich grotendeels beneden de gebruikelijke vensterbankhoogte bevinden. (De belemmeringhoek in een stedenbouwkundig (straat)profiel is te definiëren als de hoek tussen de onderste glaslijn van het beschouwde gebouw en de bovenkant van de tegenoverliggende bebouwing.)

Met het oog op de in het algemeen wenselijke stedenbouwkundige ordening is wel gedifferentieerd naar bebouwingsdichtheden voor enerzijds de bebouwde kom (belemmeringhoek: maximaal 45 graden) en anderzijds daarbuiten (belemmeringhoek: maximaal 37 graden). Zie de figuren 12, 13 en 14 in de bij deze Toelichting behorende bijlage.

Een voorgevelrooilijn kan ontbreken op de plaatsen, waar bij voorbeeld een vaart, een gracht, een park of een plantsoen langs de weg ligt. Veelal zal een tegenoverliggende rooilijn dan te ver weg liggen om een beperkende invloed op de maximumhoogte van het bouwwerk te hebben. Langs een smalle gracht is dit echter niet ondenkbaar (zie figuur 15). Een plaatselijke onderbreking van een voorgevelrooilijn komt bij voorbeeld voor bij de uitmonding van een dwarsweg (dwarsstraat) (zie figuur 16). (Alternatief 1 uit de MBV).

Artikel 2.5.21 Toegelaten hoogte in de achtergevelrooilijn

Zie ook de toelichting op artikel 2.5.20.

Lid 2

De wijze van vaststelling van de bouwhoogte in het verticale vlak door de achtergevelrooilijn in een bouwblok, waarin de achtergevelrooilijnen niet evenwijdig lopen, is in figuur 17 nader toegelicht, waarbij a, a1 enz. de voor de bouwhoogte in rekening te brengen afstand van de achtergevelrooilijnen is. Het komt voor dat bij tussen twee wegen gelegen terreinen, die te ondiep zijn voor twee tegenover elkaar gelegen bouwstroken, de tegenoverliggende achtergevelrooilijn ontbreekt.

De langs de andere weg liggende voorgevelrooilijn treedt dan in de plaats van de ontbrekende tegenovergelegen achtergevelrooilijn (zie figuur 18).

Lid 4

Bij achterterreinen die - door de ligging in geaccidenteerd gebied of anderszins - niet op straatpeil liggen, leidt bepaling van de bouwhoogte in het verticale vlak door de achtergevelrooilijn op de in het eerste t/m derde lid voorgeschreven wijze niet tot de juiste hoogte-diepteverhouding van het binnenterrein van gesloten bouwblokken. Dit mede in verband met het feit dat krachtens het bepaalde in artikel 2.5.26 bij het bouwen aan een weg ten opzichte van het straatpeil moet worden gemeten. Ter ondervanging van het genoemde bezwaar is het onderhavige vierde lid opgenomen.

Artikel 2.5.22 Toegelaten hoogte van zijgevels tegenover achtergevelrooilijn

Zie figuur 19.

Lid 2

Indien uit het bepaalde in het eerste lid voor een zijgevel tegenover een achtergevelrooilijn een lagere hoogte volgt dan voor de - op die zijgevel aansluitende - voorgevel toelaatbaar is dan kan het in overigens verlichtingstechnisch gunstige omstandigheden verantwoord zijn om af te wijken van de in het eerste lid bepaalde maximale hoogte voor het laten optrekken van de zijgevel tot de hoogte van de voorgevel.

Artikel 2.5.23 Toegelaten hoogte tussen voor- en achtergevelrooilijnen

Lid 2

De hier genoemde hoek van 56 graden correspondeert met de hoogte-diepteverhouding uit het eerste lid van artikel 2.5.22.

Artikel 2.5.24 Grootste toegelaten hoogte van bouwwerken

De maximumbouwhoogte van 15 meter komt - bij een in de woningbouw gebruikelijke verdiepingshoogte - overeen met 5 à 5,5 bouwlaag. (Alternatief 1 uit MBV)

Artikel 2.5.25 Hoogte van bouwwerken op niet aan een weg grenzende terreinen

Het onderhavige artikel wordt vooral gehanteerd voor bouwwerken op binnenterreinen van gesloten bouwblokken.

Een zadeldak is een dak, bestaande uit twee schuine vlakken die elkaar in het hoogste punt snijden, de zgn. nok, en vandaar beide naar beneden lopen tot hun goot.

Artikel 2.5.26 Wijze van meten van de hoogte van bouwwerken

Zie artikel 1.1 voor de definitie van 'straatpeil'.

Artikel 2.5.27 Toegelaten afwijkingen van de toegelaten bouwhoogte

Ad a

De strekking van dit voorschrift is, dat bij een eenmaal gerealiseerd bouwwerk bepaalde onderdelen aan een bouwwerk aangebracht kunnen worden als vrij bouwen met overschrijding van de toegelaten hoogte. Ingeval deze onderdelen deel uitmaken van de aanvraag om een omgevingsvergunning om te bouwen is het niet logisch om het verbod tot overschrijding van de voorgevelrooilijn hierop van toepassing te laten zijn.

Ad b

Deze niet-vantoepassingverklaring geldt uiteraard, mits de te vernieuwen of te veranderen delen niet worden verhoogd. Dit zou namelijk de vergroting van een bouwwerk betreffen. Voor de vergroting van een bouwwerk zijn de artikelen 2.5.20 t/m 2.5.24 onverkort van toepassing, tenzij wordt afgeweken ingevolge artikel 2.5.28, onder e.

Artikel 2.5.28 Vergunningverlening in afwijking van het verbod tot overschrijding van de toegelaten bouwhoogte

De vermelding van artikel 3, onderdeel 7 en artikel 2, onderdelen 16 en 18 van bijlage II bij het Besluit omgevingsrecht (Bor) is vooral van belang om het misverstand, dat de bouwverordening ook betekenis zou hebben voor zaken, die als vrij bouwen genoemd zijn in artikel 2.3 van het Besluit omgevingsrecht (Bor), uit te sluiten.

Wanneer gebruik wordt gemaakt van de afwijkingsmogelijkheden uit dit lid dient bijzondere aandacht te worden besteed aan het bepaalde in de artikel 2.5.2. Daarbij kunnen ook welstandsoverwegingen worden betrokken.

Ad e, onder 1

Afgeweken zou kunnen worden wanneer het een gebouw betreft, dat aansluit bij bestaande bebouwing, die onder vigeur van vroegere voorschriften hoger is dan thans is toegelaten. Door de afwijking van de toegestane bouwhoogte kan dan een gaaf straatbeeld worden verkregen.

Artikel 2.5.29 Vergunningverlening in afwijking van het verbod tot overschrijding van de rooilijnen en van de toegelaten bouwhoogte in geval van voorbereiding van nieuw ruimtelijk beleid

Artikel 2.5.29 bouwverordening is, in relatie met de overige stedenbouwkundige afwijkingen uit dit hoofdstuk, te vergelijken met de relatie tussen enerzijds de in het bestemmingsplan opgenomen regels inzake afwijking en anderzijds de afwijkingsregels die zijn gelegen buiten het bestemmingsplan. Paragraaf 2.5 bouwverordening is te beschouwen als een bestemmingsplan vervangende regeling met derhalve ook de behoefte aan regels inzake afwijking wanneer nieuw ruimtelijk beleid wordt voorbereid. Bedoeld is een net zo eenvoudige afwijkingsregeling voor bouwen en gebruiken te hebben voor de verplichtingen uit de stedenbouwkundige eisen van de bouwverordening als van die uit een bestemmingsplan.

Sub a.

Wellicht ten overvloede is hier nogmaals vermeld dat deze bepaling alleen van toepassing is indien er geen bestemmingsplan, beheersverordening of projectbesluit van kracht is. Aangezien er dan geen strijd kan zijn met een bestemmingsplan, vloeit uit art. 3.10 Wabo dat de reguliere procedure van 3.9 Wabo van toepassing is.

Sub b. aanhoudingsvoorwaarden uit art. 3.3 Wabo

De aanvraag om een omgevingsvergunning moet in een aantal gevallen worden aangehouden. In art. 3.3 Wabo wordt bepaald wanneer daarvan sprake is. Dit is bijvoorbeeld het geval wanneer er geen reden is de aanvraag te weigeren, maar er voor de dag van aanvraag een bestemmingsplan in ontwerp ter inzage is gelegd of een voorbereidingsbesluit in werking is getreden. In een dergelijke situatie vervallen de stedenbouwkundige bepalingen uit de bouwverordening, waaronder deze.

Sub c. Welk toekomstig ruimtelijk beleid is zoal relevant?

Voor een afwijking als bedoeld in dit artikel geldt zoals voor alle besluiten de eis van een voldoende motivering (art. 3:46 Awb). Deze motivering zal in het onderhavige geval in ieder geval betrekking moeten hebben op toekomstig planologisch beleid. Daarom is hier expliciet de eis opgenomen dat het bouwplan waar wordt afgeweken van de rooilijnen en van de toegelaten bouwhoogte 'in overeenstemming is met in voorbereiding zijnd ruimtelijk beleid'.

'Vastgesteld en bekendgemaakt ruimtelijk beleid' is een mogelijkheid om de afwijking te onderbouwen. Denk bijvoorbeeld aan een structuurplan, structuurvisie of -nota, beleidsnota, beleidsregels (een nota dakkapellen, bijgebouwen e.d.) en een sectorale nota.

Zoals uit het gestelde bij sub b. blijkt, vallen hieronder niet de situaties zoals vermeld in art. 3.3 Wabo, zoals bijvoorbeeld een ter inzage gelegd ontwerpbestemmingsplan. Ook een vastgesteld voorbereidingsbesluit voor bijvoorbeeld een bouwlocatie kan daarom geen basis vormen.

Sub d.

De activiteit mag niet in strijd zijn met een goede ruimtelijke ordening. Hierbij wordt aangesloten bij de terminologie dit wordt gebruikt en de betekenis die daaraan wordt toegekend in de Wabo. Bij dat begrip wordt rekening gehouden met milieu, cultuurhistorische, ecologische en natuurlijke en landschappelijke waarden.

Voor wat betreft de milieuwaarden zijn de afstanden ten opzichte van hinderveroorzakende activiteiten dan van groot belang. De relevante afstanden treft u aan in de VNG-publicatie 'Bedrijven en milieuzonering'.

Sub e.

In het kader van een goede motivering wordt hier gevraagd om een goede ruimtelijke onderbouwing. Ook hier is aangesloten bij de terminologie uit de Wabo.

Artikel 2.5.30 Parkeergelegenheid en laad- en losmogelijkheden bij of in gebouwen

Algemeen

Met de komst van de Wet ruimtelijke ordening (Wro) behoort het onderwerp parkeren te worden geregeld in de (nieuwe) bestemmingsplannen. Als uitwerking hiervan is in artikel 8.17 van de Invoeringswet Wro bepaald dat artikel 8, vijfde lid van de Woningwet vervalt.

In verband met wetstechnische problemen is besloten dit deel van de Invoeringswet Wro vooralsnog niet in werking te doen treden. Een nieuwe datum van inwerkingtreding is niet bepaald. Dit betekent dat onder meer het ‘parkeerartikel’ uit de bouwverordening blijft bestaan, ook indien op grond van de nieuwe Wro een bestemmingsplan wordt vastgesteld, waarin niet is voorzien in een regeling over het parkeren.

Lid 1

Het is zeer moeilijk aan te geven, wat in algemene zin een niet te overvloedig minimumaantal parkeerplaatsen dient te zijn. De daarom per omgevingsvergunning voor het bouwen te bepalen normstelling hangt af van onder meer de grootte van het gebouw, de ligging in de gemeente, het te verwachten aantal bezoekers, c.q. bewoners of gebruikers, de eventuele aanwezigheid van openbaar vervoer en de frequentie daarvan, het tijdstip waarop de bezoekers gewoonlijk komen, en de mogelijke uitwisselbaarheid van parkeerplaatsen. Tevens is aansluiting wenselijk op het voorgestane verkeers- en vervoersbeleid, zoals dat is neergelegd het lokale verkeer- en vervoerplan.

Voor kencijfers betreffende in het algemeen aanbevelenswaardige minimum aantallen parkeerplaatsen, uitgesplitst naar het soort voertuig en de bestemming van het gebouw, zie de uitgave Aanbevelingen voor verkeersvoorzieningen binnen de bebouwde kom (ASVV 2004), paragraaf 6.3, verkrijgbaar bij de Stichting Centrum voor Regelgeving en Onderzoek in de Grond-, Water- en Wegenbouw en de Verkeerstechniek (Stichting CROW) te Ede (tel. 0318-69 53 00 of www.crow.nl ). Overigens kan een verantwoorde parkeernorm alleen per te verlenen omgevingsvergunning voor het bouwen worden bepaald.

Aan de hand van de hiervoor genoemde publicaties kan, zoals gezegd, per te verlenen omgevingsvergunning voor het bouwen een verantwoorde parkeernorm worden bepaald. Bij de toepassing van het onderhavige lid is - op grond van praktisch-bouwkundige overwegingen - enige flexibiliteit in elke vastgestelde parkeernorm onontbeerlijk. Dus verdient het aanbeveling om in een concrete omgevingsvergunning voor het bouwen bij voorbeeld een afwijking naar boven van 10% als toelaatbaar te vermelden op locaties die per openbaar vervoer bereikbaar zijn, en van 50% op locaties die dat niet zijn.

Lid 2

Dit lid geeft maatvoorschriften voor parkeervakken, omdat deze voorschriften niet kunnen worden gemist bij het afdwingen van een correcte naleving van lid 1. De verplichting in lid 1 om voldoende parkeerplaatsen op eigen terrein aan te brengen zou immers gedeeltelijk kunnen worden ontdoken door alleen parkeervakken met afmetingen voor het kleinste type personenauto te maken. Ook het Bouwbesluit 1992 sprak in het - niet in werking getreden - artikel 218, lid 1, over 'parkeerplaatsen van voldoende afmetingen'. Het Bouwbesluit 2003 laat regeling van het onderhavige onderwerp geheel over aan bestemmingsplan en/of bouwverordening. Een bijkomende reden voor het opnemen van maatvoorschriften voor parkeervakken is de wenselijkheid om de afwijkende maatvoering vast te leggen van parkeerplaatsen voor rolstoelgebruikers en stoklopers.

Lid 3

De onderhavige bepaling kan ertoe leiden dat een nieuw winkelcentrum wordt voorzien van een zgn. expeditiehof, respectievelijk een nieuw fabrieksgebouw van een laad- en losperron (met een op het fabrieksterrein gelegen, bijbehorende opstelstrook voor vrachtauto's).

Lid 4, ad a

De mogelijkheid tot het verlenen van een omgevingsvergunning in afwijking van de eis in het eerste lid om een parkeergelegenheid van voldoende omvang op eigen terrein of onder eigen dak te maken is onder meer bedoeld voor omgevingsvergunningplichtige verbouwingen van winkels e.d. in binnensteden. Eventueel kunnen daarbij financiële voorwaarden worden gesteld. (Alternatief 2 uit de MBV).

Hoofdstuk 7 Overige gebruiksbepalingen

Paragraaf 7.3 Gebruik van bouwwerken, open erven en terreinen

Artikel 7.3.1 Bepaling aantal personen nachtverblijf

Artikel 2.2, eerste lid van het Bor geeft de raad de mogelijkheid om van het in artikel 2.11.1 eerste lid, onderdeel a, genoemde aantal personen af te wijken. De raad kan indien afwijking van dit artikel is gewenst, een nieuw artikel 7.3.1 Vergunningsplicht nachtverblijf in de bouwverordening vaststellen.

Hoofdstuk 9 Het welstandstoezicht

Algemeen

In hoofdstuk 9 van de bouwverordening zijn zowel procedurele als inhoudelijke artikelen met betrekking tot het welstandstoezicht opgenomen. Op grond van artikel 8, zesde lid van de Woningwet bevat de bouwverordening voorschriften over de samenstelling, inrichting en werkwijze van de welstandscommissie.

De werkwijze van de welstandscommissie is in de bouwverordening niet concreet uitgewerkt vanwege de diversiteit in lokale invulling. Gemeenten dienen nadrukkelijk zelf een keuze te maken ten aanzien van de werkwijze, ook indien een gemeente werkt met een provinciale welstandscommissie. De gemeentelijke keuze dient ook door te klinken in de werkwijze van de provinciale welstandscommissie. Daartoe dient de gemeente het initiatief te nemen en is het aan de provinciale welstandscommissie om deze keuze te onderschrijven.

Het is noodzakelijk om een huishoudelijk reglement toegesneden op de lokale situatie of een reglement van orde voor de lokale welstandscommissie vast te stellen als bijlage bij deze verordening. Juridisch gezien behoeft een dergelijk reglement niet in de bouwverordening zelf te worden opgenomen, maar dient wel dezelfde procedure te worden doorlopen als de gemeentelijke bouwverordening.

Welstandscriteria en welstandsnota

Alleen als in een welstandsnota aan de hand van criteria is aangegeven wat verstaan wordt onder redelijke eisen van welstand kan het bevoegd gezag een vergunningplichtig bouwwerk beoordelen op aspecten van welstand en kan de welstandscommissie hierover adviseren. Ook bouwwerken waarvoor geen omgevingsvergunning voor het bouwen is vereist, moeten aan minimale welstandseisen voldoen. Volgens artikel 13a van de Woningwet kunnen burgemeester en wethouders de eigenaar van een bouwwerk dat 'in ernstige mate in strijd is met redelijke eisen van welstand' aanschrijven om die strijdigheid op te heffen. De criteria hiervoor moeten in de welstandsnota zijn opgenomen. Zonder nota met criteria is geen welstandstoezicht mogelijk.

De welstandsbeoordeling c.q. -advisering dient gebaseerd te worden op de in de nota opgenomen criteria. In artikel 12a van de Woningwet wordt bepaald dat deze criteria 'zo veel mogelijk zijn toegesneden op de onderscheidene categorieën bouwwerken en dat de criteria kunnen verschillen naargelang de plaats waar een bouwwerk is gelegen'. Dit biedt mogelijkheden om de criteria per samenhangend deel van de gemeente uit te werken. Zowel binnen als buiten de bebouwde kom verschillen gebieden ten aanzien van de bestaande kwaliteiten en ten aanzien van de verwachte en/of beoogde ruimtelijke ontwikkelingen, die vastliggen in een bestemmingsplan of specifieke beleidsdocumenten, bijvoorbeeld in het kader van landschapsverbetering, stedelijke vernieuwing of architectuurbeleid. De bestaande situatie en de beleidsdoelen voor de toekomst zullen in de meeste gevallen de basis vormen voor een passend welstandsbeleid. In het ene gebied is aanleiding om een behoudend beleid te voeren, in een ander gebied is juist verandering en vernieuwing aan de orde. In het ene gebied is nauwelijks sprake van ruimtelijke dynamiek en kan een terughoudend welstandsregime acceptabel zijn, in een ander gebied gaat juist alles op de schop en is een intensieve beïnvloeding van de ruimtelijke kwaliteit vereist.

De welstandsnota is derhalve een dynamisch document. Steeds als er nieuwe gebieden worden ontwikkeld, vormen de beleidsregels voor het betreffende gebied een toevoeging aan de nota, mits telkens opnieuw de vaststellingsprocedure wordt gevolgd.

Indien het bevoegd gezag de welstandscriteria in bijzondere gevallen buiten toepassing laat als bedoeld in artikel 4:84 Awb (inherente afwijkingsbevoegdheid), dient dit wel per concreet geval deugdelijk door het bevoegd gezag te worden gemotiveerd.

Relatie bestemmingsplan en welstand

De jurisprudentie op basis van de Woningwet gaat uit van de voorrangsregel uit artikel 9 Woningwet, inhoudende dat de welstandstoets zich dient te richten naar de bouwmogelijkheden die het geldende bestemmingsplan biedt.

Het welstandscriterium is in artikel 2.10 sub d (voorheen artikel 44 van de Woningwet) omschreven als zelfstandige toetsingsgrond voor bouwaanvragen. De voorrangsregeling van artikel 9 was daardoor niet rechtstreeks van toepassing. De jurisprudentie heeft uit dit stelsel van de wet afgeleid dat die voorrang is blijven bestaan (ABRS 25 april 1995, BR 1995, 579, ABRS 16 maart 1999, AB 1999, 356 en ABRS 18 februari 2000, Gst.2000, 7119).

In lijn met artikel 9 Woningwet is de voorrang van het bestemmingsplan op de welstandseisen geregeld in artikel 12, derde lid van de Woningwet. Daarin is tevens bepaald dat ook de stedenbouwkundige voorschriften van de bouwverordening boven de welstandseisen prevaleren. In artikel 12b, eerste lid van de Woningwet is bovendien expliciet vastgelegd dat óók de welstandscommissie deze voorrangsregeling moet betrekking bij de advisering. Het bestemmingsplan is immers het wettelijk instrument waarmee, langs de in de Wet ruimtelijke ordening aangegeven en met bijzondere waarborgen omklede weg, aan gronden een bestemming is gegeven en de daarbij behorende bebouwings- en gebruiksmogelijkheden worden aangegeven. Dit betekent dat de welstandstoets niet mag leiden tot beperkingen die een reële verwezenlijking van de aan de grond toegekende bouwmogelijkheden die het bestemmingsplan biedt, belemmeren (vgl. ABRS 16 maart 1999, AB 1999, 356 m.n. A.G.A. Nijmeijer). De kans dat die situatie zich voordoet is kleiner naarmate het bestemmingsplan meer mogelijkheden biedt de toegekende bestemming te realiseren.

Naar valt aan te nemen is de voorrangsregel (artikel 12, derde lid Woningwet) naar analogie van toepassing op de relatie toekomstig bestemmingsplan en welstand.

Artikel 9.1 De advisering door de welstandscommissie

Onder het regime van de Woningwet is inschakeling van een welstandscommissie bij een aanvraag om een omgevingsvergunning voor het bouwen verplicht indien een welstandsnota is vastgesteld en aan de hand van criteria is aangegeven wat verstaan wordt onder redelijke eisen van welstand. De commissie adviseert, het bevoegd gezag beslist.

De gemeenteraad kan er voor kiezen om in plaats van een welstandscommissie een stadsbouwmeester te benoemen. In dat geval dient de bouwverordening voorschriften te bevatten over de rol en de functie van de stadsbouwmeester.

De adviespraktijk varieert per gemeente. Er wordt gewerkt met lokale dan wel provinciale welstandscommissies. De gemeenteraad kan er voor kiezen om voor de welstandsadvisering gebruik te maken van een provinciale welstandsorganisatie, die het resultaat is van een gemeenschappelijke regeling of een privaatrechtelijke samenwerkingsvorm. Indien gebruik wordt gemaakt van een provinciale welstandsorganisatie dient de gemeenteraad de leden van de welstandscommissie eveneens nadrukkelijk te benoemen; zie toelichting bij artikel 9.2.

Artikel 9.2 Samenstelling van de welstandscommissie

Onafhankelijkheid

Voor elk afzonderlijk lid van deze commissie geldt het onafhankelijkheidsvereiste. Daaraan wordt in elk geval voldaan indien de leden van de commissie niet ondergeschikt zijn aan het gemeentebestuur. Ook is het raadzaam bij de selectie van de leden van de welstandscommissie alert te zijn op mogelijk tegenstrijdige belangen. Deelneming van leden van het college van burgemeester en wethouders of van het bevoegd gezag dat besluiten neemt over een aanvraag voor een omgevingsvergunning voor het bouwen aan de welstandscommissie voor de eigen gemeente of voor de gemeente waarover het bevoegd gezag besluiten neemt, is in dit verband uitgesloten.

Deskundigen en burgers

In de welstandscommissie behoeven niet uitsluitend 'deskundigen' zitting te hebben. Deskundige leden zijn leden die zich door ervaring en opleiding kwalificeren om zitting te nemen in de welstandscommissie. Van deskundige commissieleden mag worden verwacht dat zij vanuit een eigen, actieve beroepspraktijk kunnen oordelen over plannen van collega's. Onder niet-deskundige leden worden vertegenwoordigers van de plaatselijke bevolking verstaan, geen architecten of anderszins beroepsmatig bij de kwaliteit van de gebouwde omgeving betrokken zijnde, die door het gemeentebestuur in de welstandscommissie kunnen worden benoemd. De gemeenteraad beslist over de benoeming van niet-deskundige leden. Er is geen wettelijke verplichting om niet-deskundige leden op te nemen in de welstandscommissie.

Hoofdstuk 10 Overige administratieve bepalingen

Artikel 10.6 Herziening en vervanging van aangewezen normen en andere voorschriften

Het onderhavige artikel heeft betrekking op de door het Nederlands Normalisatie-instituut (NNI) uitgegeven normen (NEN's), voornormen (NVN's) en praktijkrichtlijnen (NPR's).

Hoofdstuk 11 Handhaving

Algemeen

Het niet naleven van de voorschriften van het Bouwbesluit 2012, de bouwverordening of de criteria uit de Welstandsnota voor bestaande bouwwerken vormt een overtreding waartegen direct met toepassing van bestuursdwang of oplegging van een last onder dwangsom kan worden opgetreden, zonder dat daartoe nog (de tussenstap van) een specifieke aanschrijving vereist is. Het Bouwbesluit 2012 geldt voor alle bouwwerken (artikel 1b Woningwet), voor de bouwverordening krijgt deze systematiek vormt in artikel 7b Woningwet en voor het welstandsvereiste voor bestaande bouw volgt dit uit artikel 13a Woningwet. Met het generieke handhavinginstrumentarium op grond van de Gemeentewet en de Awb kan worden afgedwongen dat het bouwen of de staat van een gebouw of ander bouwwerk gaat voldoen aan de betreffende voorschriften van het Bouwbesluit 2012, dat het gebruik ervan of de staat of het gebruik van een open erf of terrein in overeenstemming is met de bouwverordening en dat het uiterlijk van een bouwwerk niet in ernstige mate strijdig is met redelijke eisen van welstand, beoordeeld naar de criteria die zijn vastgelegd in de welstandsnota.

Tenzij sprake is van spoedeisende omstandigheden brengt artikel 4:8 van de Awb met zich mee dat een belanghebbende, die naar verwachting bedenkingen zal hebben tegen een voorgenomen handhavingbesluit, vooraf in de gelegenheid wordt gesteld zijn zienswijze naar voren te brengen. In het handhavingbesluit dient vervolgens zorgvuldig te worden omschreven met welke voorschriften van het Bouwbesluit 2012 het bouwen of de staat van een gebouw of ander bouwwerk in strijd is en met welke voorzieningen het bouwen of de staat van dat gebouw of ander bouwwerk weer in overeenstemming met die voorschriften kan worden gebracht. Door zelf binnen de daartoe gestelde termijn maatregelen te nemen kunnen belanghebbenden de toepassing van bestuursdwang voorkomen (artikel 5:24 Awb) dan wel overeenkomstig artikel 5:32b van de Awb het verbeuren van een dwangsom voorkomen.

Tegen een handhavingbesluit staan de normale rechtsmiddelen open die de Awb in samenhang met de Wet op de Raad van State biedt (bezwaar, beroep, hoger beroep en daarnaast de mogelijkheid om een voorlopige voorziening te vragen).

Op grond van artikel 125 van de Gemeentewet blijft de mogelijkheid bestaan om met toepassing van bestuursdwang of op grond van artikel 5:32 van de Awb met een last onder dwangsom, handhavend op te treden tegen illegale bouw- en sloopwerkzaamheden door middel van het stilleggen van deze werkzaamheden. Daarbij is het feit dat zonder of in afwijking van een vereiste vergunning wordt gebouwd of gesloopt op zichzelf in beginsel voldoende aanleiding om spoedshalve bestuursdwang toe te passen overeenkomstig artikel 5:24 Awb. Het direct met bestuursdwang optreden tegen illegale bouw- of sloopwerkzaamheden is er immers op gericht te voorkomen dat de illegale situatie verder in omvang toeneemt, waardoor burgemeester en wethouders mogelijk voor voldongen feiten worden geplaatst. In dit verband kan onder meer worden verwezen naar de uitspraken van ABRvS van 14 november 2001 (JG 020026) en 11 juni 2003 (BR 2003, 893).

Hoofdstuk 12 Straf-, overgangs- en slotbepalingen

Algemeen

Alle artikelen van deze verordening op overtreding waarvan straf is gesteld steunen op artikel 7b van de Woningwet juncto artikel 1a, onder 2o van de Wet op de economische delicten.

Bijlagen bij de toelichting

Figuren 1 t/m 19, behorende bij de stedenbouwkundige bepalingen.

Figuur 1 Voor verkeer vrij te houden hoogten (artikelen 2.5.7 en 2.5.8)

afbeelding binnen de regeling

Figuur 2 Voor verkeer vrij te houden hoogten (artikelen 2.5.7 en 2.5.8)

afbeelding binnen de regeling

Figuur 3 Ligging van de achtergevelrooilijn (artikel 2.5.11, eerste lid, onder a)

afbeelding binnen de regeling

Figuur 4 Ligging van de achtergevelrooilijn (artikel 2.5.11, eerste lid, onder a)

afbeelding binnen de regeling

Figuur 5 Ligging van de achtergevelrooilijn (artikel 2.5.11, eerste lid, onder a)

afbeelding binnen de regeling

Figuur 6 Ligging van de achtergevelrooilijn (artikel 2.5.11, eerste lid, onder b)

afbeelding binnen de regeling

Figuur 7 Ligging van de achtergevelrooilijn (artikel 2.5.11, eerste lid, onder c)

afbeelding binnen de regeling

Figuur 8 Ligging van de achtergevelrooilijn (artikel 2.5.11, eerste lid, onder c)

afbeelding binnen de regeling

Figuur 9 Ligging van de achtergevelrooilijn (artikel 2.5.11, eerste lid, onder d)

afbeelding binnen de regeling

Figuur 10 Ligging van de achtergevelrooilijn (artikel 2.5.11, eerste lid, onder e)

afbeelding binnen de regeling

Figuur 11 Teruglegging met het oog op de daglicht toetreding van achtergevelrooilijn die een scherpe hoek met elkaar vormen (ingevolge artikel 2.5.11, lid 2)

afbeelding binnen de regeling

Figuur 12 Bouwhoogte in voor- en achtergevelrooilijn en daartussen. Maximum bouwhoogte (artikelen 2.5.20, 2.5.21, 2.5.23 en 2.5.25). Binnen de bebouwde kom

afbeelding binnen de regeling

Figuur 13 Bouwhoogte in voor- en achtergevelrooilijn en daartussen. Maximum bouwhoogte (artikelen 2.5.20, 2.5.21, 2.5.23 en 2.5.25). Buiten de bebouwde komafbeelding binnen de regeling

afbeelding binnen de regeling

Figuur 14 Bouwhoogte in voor- en achtergevelrooilijn en daartussen. Maximum bouwhoogte (artikelen 2.5.20, 2.5.21, 2.5.23 en 2.5.24, alternatief

2). Binnen grootstedelijke delen van de bebouwde kom

afbeelding binnen de regeling Figuur 15 Bouwhoogte in de voorgevelrooilijn (artikelen 2.5.20, derde lid, eerste alinea)

afbeelding binnen de regeling

Figuur 16 Bouwhoogte in de voorgevelrooilijn (artikelen 2.5.20, derde lid, tweede alinea)

afbeelding binnen de regeling

Figuur 17 Bouwhoogte in de achtergevelrooilijn (artikelen 2.5.21, tweede lid, eerste alinea)

afbeelding binnen de regeling

Figuur 18 Bouwhoogte in de achtergevelrooilijn (artikelen 2.5.20, tweede lid, tweede alinea)

afbeelding binnen de regeling

Figuur 19 Hoogte van een zijgevel tegenover een achtergevelrooilijn (artikelen 2.5.22)

afbeelding binnen de regeling